biologia i geologia tercer ESO


Índex
Com és la
matèria que ens envolta?
Observació
de cèl.lules animals
Observació
de cèl.lules vegetals
Què conté
l'aire que respirem?
Treball i
exposició de geologia
QüestionariRecorda com són un tros de guix d'escriure, una mostra de granit, un company de classe, una alzina, un ratolí de camp, el virus de la sida, la bactèria del tètanus, el llevat del pa, una ameba, un parameci, un bolígraf, un jersei.
1. Fes una relació de totes les característiques que tinguin en comú els éssers anteriors.
2. Fes una relació de totes les característiques que permeten diferenciar-los.
3. Basant-te en les observacions anteriors, fes la classificació dels objectes proposats, situant en el lloc adient els següents criteris de classificació.
|
|
Animal / Vegetal |
Natural / Artificial |
Unicel·lular / Pluricel·lular |
Viu / Inert |
|
Guix |
|
|
|
|
|
Granit |
|
|
|
|
|
Company |
|
|
|
|
|
... |
|
|
|
|
Observant la classificació anterior, contesta les següents preguntes :
4. Què és un ésser natural?
5. I un ésser artificial?
6. Quines són les característiques del éssers vius que els diferencien dels éssers inerts o sense vida?
7. Els éssers vius estan formats de .........................
8. Els éssers vius són capaços de ...........................
QüestionariTots els éssers estan formats de matèria. La matèria es troba organitzada en diferents nivells, des de les partícules subatòmiques fins als agregats macromoleculars. En la matèria viva, aquesta organització assoleix nivells superiors.
1. Ordena de menys a més organitzats, de més simples a més complexos, els següents nivells d'organització de la matèria:
Teixits; àtoms; macromolècules; òrgans; conjunts de macromolècules; electrons, protons i neutrons ; cèl·lules; aparells i sistemes.
2. Digues a quin dels nivells d'organització anteriors pertany cada un dels següents compostos o éssers:
Aigua (H2O), oxigen (O2), bactèria, cor, teixit muscular, estómac, gat, virus de la grip, roure.
3. Quins dels nivells d'organització de la matèria presenten tant els éssers vius com els inerts?
4. Quins d'aquests nivells són exclusius dels éssers vius?
5. A què ens referim quan parlem de matèria orgànica? I de matèria inorgànica? Posa exemples de cada.
Quina pàgina?Durant unes quantes sessions podem treballar amb la pàgina web de J. Gurrera titulada La cèl·lula que conté informació de suport i ampliació sobre la cèl·lula per a secundària (estructura, tipus, orgànuls...).
Pots anar directament a la pàgina www.xtec.cat/~jgurrera/index.htm de J. Gurrera o bé obrir la pàgina de la XTEC (www.xtec.cat), anar a Escola oberta, Ciències de la Naturalesa i buscar l’activitat de La cèl·lula (al costat dret però molt cap al final).
Sessió 1Pàgines a visitar: Historia, Generalitats i Estructura cel·lular.
1. D’on ve la paraula “cèl·lula”? Qui va ser el descobridor de las cèl·lules? En quin any? Va veure cèl·lules en realitat?
2. Qui va ser el primer en observar cèl·lules vives? Quines? En quin any?
3.
4. Escriu els tres punts de la Teoria cel·lular, els qui la van enunciar i en quin any.
a.
b.
c.
5. Quin avantatge ofereixen els microscopis electrònics respecte dels òptics? Raona la resposta: Per què no es va poder descriure l’estructura dels orgànuls fins a la invenció del microscopi electrònic?
6. Necessitem microscopi per observar totes les cèl·lules? Justifica la resposta.
7.

Assenyala a la fotografia les tres parts de la cèl·lula.
8. Omple el quadre següent:
|
|
Què es? |
Funcions |
D’altres informacions |
|
Membrana |
|
|
|
|
Citoplasma |
|
|
|
|
Nucli |
|
|
|
1. Assenyala en l’esquema de la membrana plasmàtica les següents parts:

Exterior de la cèl·lula, interior de la cèl·lula, citoplasma, proteïnes de
membrana, lípids de membrana, colesterol.
2. Explica la diferència entre hialoplasma i citoplasma.
Pàgines
a visitar: Cèl·lula eucariota i
procariota, cèl·lula animal i cèl·lula vegetal.
1. Completa la taula:
|
|
Cèl·lula eucariota |
Cèl·lula procariota |
|
Tenen membrana nuclear? |
|
|
|
Quants cromosomes? Com són? |
|
|
|
Tenen paret cel·lular? |
|
|
|
Molts o pocs orgànuls citoplasmàtics? Quins? |
|
|
|
Formen part dels éssers pluricel·lulars? |
|
|
|
Tenen nuclèol? |
|
|
|
Són evolucionades o primitives? |
|
|
|
Els bacteris son d’aquesta classe |
|
|
|
Ribosomes grans o petits? Molts o pocs? |
|
|
2. Fes un dibuix de les parts d’un bacteri assenyalant les seves parts.
3. Escriu les semblances i les diferències entre una cèl·lula animal i una cèl·lula vegetal.
|
Semblances |
Diferències |
|
|
|
4. Quina utilitat proporciona la cel·lulosa de la paret vegetal al conjunt de la planta?
5. Totes les cèl·lules vegetals tenen cloroplasts? Raona la teva resposta.
1. Connecta’t a Internet i entra en la Hiperenciclopèdia, a la URL www.grec.net/HOME/CEL/DICC.HTM i busca el significat de les següents paraules: mesosoma, eucariota, procariota, microorganisme, cili, flagell, cel·lulosa.
Sessió 3Pagines a visitar: Ribosomes, Reticle endoplasmàtic, Mitocondri, Cloroplast, Aparell de Golgi, Lisosomes i Vacúol.
1. Ribosomes: funció, on es troben.
2.
Reticle endoplasmàtic: funció, diferencia entre
el r.e. llis i el r.e. rugós. Posa nom a

les parts del dibuix.
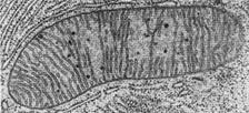
3.

Mitocondris: funció, forma, nombre. Posa noms a les parts del mitocondri de la
fotografia.
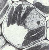
4. Cloroplasts: funció, forma, on se situa la clorofil·la. Posa noms a les parts del dibuix.
5.

Aparell de Golgi: funció, relaciona aquestes paraules en una frase:
dictiosomes-vesícules de secreció-lisosomes. Posa nom a les parts del dibuix:
6. Lisosomes: funció.
7. Vacúols: funció. Assenyala en el dibuix aquestes parts: paret cel·lular, nucli, vacúol, mitocondris, cloroplasts.
![]() |
1. Observa el dibuix que hi ha al final de la pàgina dels lisosomes i contesta. Quina diferència hi ha entre un lisosoma primari i un de secundari?
2. En quina part de la cèl·lula es localitza el reticle endoplasmàtic?
Sessió 4Pàgines a visitar: Membrana nuclear, Nucleoplasma, Nuclèol, Cromatina i Cromosomes.
1. Explica com es forma la membrana nuclear i quin orgànul citoplasmàtic hi intervé. Com entren i surten del nucli les substàncies químiques?
2. Què es el nucleoplasma?
3. Què son els nuclèols? Quants hi pot haver i quina forma tenen? Quina és la seva funció?
4.
5. Què es i on es troba la cromatina?
6.

Posa nom a les parts del nucli.
7. Quina funció tenen els cromosomes? Quan son visibles els cromosomes? A partir de quina substància es formen els cromosomes? Per què els éssers vius amb reproducció sexual tenen un nombre parell de cromosomes? Quants cromosomes tenim el gènere humà?
8. Posa nom a les parts d’aquest cromosoma.
![]() |
1. Com determinen els cromosomes el sexe en el cas del gènere humà?
Pàgines
a visitar: Totes les treballades fins ara.
1.

Posa noms a aquesta cèl·lula eucariota vegetal: membrana nuclear, ribosomes,
mitocondris, vacúols, cloroplast, membrana plasmàtica, nucli, porus nuclears,
reticle endoplasmàtic, citoplasma, aparell de Golgi, lisosomes, nuclèol, paret
cel·lular.
2.

Posa noms a aquesta cèl·lula eucariota animal: membrana nuclear, ribosomes,
mitocondris, vacúol, membrana plasmàtica, nucli, porus nuclears, reticle
endoplasmàtic, citoplasma, aparell de Golgi, lisosomes, nuclèol.
3. Acabar activitats incompletes de dies anteriors.
1.

Posa el nom corresponent a cada una de les parts assenyalades en el dibuix del
microscopi òptic. Elements mecànics: el peu, el braç, la platina, el carro
mòbil, el revòlver portaobjectius, el tub òptic i el prisma, els dispositius
d’enfocament: cargol macromètric i cargol micromètric, i el cargol per pujar i
baixar el condensador. Elements òptics: els objectius, l’ocular, el
condensador, el diafragma, el portafiltres i la bombeta.
Un bon mitjà per a verificar les propietats i el funcionament del microscopi és una preparació com aquesta del dibuix: un quadradet de paper de diari muntat entre el portaobjectes i el cobreobjectes, enganxat amb una mica d'aigua.

Confecciona la preparació anterior. Observa-la al microscopi i ves contestant
les següents preguntes.
1. De quines parts del microscopi depèn la correcta il·luminació de la preparació ?
2. Què es pot posar en el portafiltres i quina utilitat té?
3. Dibuixa l'estructura del diafragma.
4. Quan desplacem el condensador, de quina manera varia la il·luminació?
5. Com varia la il·luminació si obrim o tanquem el diafragma?
1. Quants grups de lents hi ha en el microscopi compost i quin nom reben?
2. Quines són les característiques que té la imatge final del microscopi òptic?
3. Si desplacem el portaobjectes cap a la dreta, cap on es mou la imatge?
4. Com calculem l'augment final del microscopi?
5. Escriu les combinacions d'augments que es poden fer amb el microscopi de que disposeu, emplenant la següent taula:
|
Augment ocular |
x |
Augment objectiu |
= |
Augment total |
|
|
x |
|
= |
|
|
|
x |
|
= |
|
|
|
x |
|
= |
|
6. Quina és la relació entre...
a. L'augment i la longitud total de l'objectiu.
b. L'augment total del microscopi i el camp de la preparació que s'hi pot veure.
c. L'augment i la il·luminació.
Anomenem "grandària del camp del microscopi" el diàmetre del camp de la preparació que es pot veure en relació als diferents augments del microscopi.
Per a mesurar la grandària de camp, confecciona la següent preparació: retalla 1 cm2 de paper mil·limetrat transparent i col·loca'l entre el portaobjectes i el cobreobjectes. Subjecta el cobreobjectes en el porta posant una mica de goma d'enganxar pels vèrtexs.
7. Fes l'observació de la preparació anterior i emplena la següent taula:
|
Augment total del microscopi |
Diàmetre del camp de la preparació (mm) |
|
|
|
|
|
|
|
|
|
8. Per què és convenient centrar el que ens interessa de la preparació si ho volem observar a gran augment?
9. Per què serveix el carro mòbil?
El "poder resolutiu" d'un aparell òptic es defineix com la mínima separació que han de tenir dos punts per no confondre’ls en una única figura. És a dir, determina quins seran els objectes més petits que podrem observar amb aquest aparell.
Ä El poder resolutiu de l'ull humà és de 75 µm a 100 µm
Ä El poder resolutiu del microscopi compost és de 0,2 µm
Ä El poder resolutiu del microscopi electrònic és de 2 nm a 4 nm
10. Defineix les anteriors unitats de mesura:
a. la micra o micròmetre (µm):
b. la mil·limicra o nanòmetre (nm):
c. l'armstrong (Å):
La grandària de les cèl·lules oscil·la entre 0,1 µm i 15 cm. Els dos extrems corresponen a cèl·lules molt concretes. La immensa majoria mesuren algunes desenes de micres o micròmetres.
11. Una cèl·lula de 80 µm vista a 500 X, quina grandària mostrarà?
12. Digues quin instrument escolliries per poder veure, si fos possible, aquests objectes naturals
a. Grans de sorra
b. Una mosca
c. Ala de papallona
d. Un cabell
e. Tel de ceba
f. Glòbuls vermells
g. Molècula de proteïna
h. Molècula de colesterol
i. Tall de 100 µm de pastanaga
j. Un bacteri
k. Virus de la grip
el
microscopiLlegeix el següent text amb l’objectiu de conèixer les diferents parts del microscopi òptic, el seu funcionament, maneig i les atencions que cal tenir en compte. Això et permetrà treballar amb comoditat i contestar moltes de les qüestions de la pràctica anterior.
Anomenem elements mecànics del microscopi les diferents parts que formen l'estructura del microscopi i donen suport a la part òptica, al mateix temps que serveixen per aconseguir enfocar el microscopi.
El PEU del microscopi és actualment un suport gruixut generalment de tipus rectangular, sobre el qual descansa tota l'estructura del microscopi; ha de ser suficientment gran com per donar estabilitat al microscopi i permetre de recolzar les mans en manejar els cargols d'enfocament.
Porta al seu interior el mecanisme d'il·luminació elèctrica; en alguns microscopis aquest sistema d’il·luminació és substituït per un mirall.
El BRAÇ és la peça metàl·lica, generalment corbada, que uneix el peu amb la part superior del microscopi. És el lloc adequat per on hem d'agafar sempre el microscopi quan haguem de traslladar-lo, fent-ho sempre verticalment.
LA
PLATINA és un peça fixada al braç,
generalment quadrada, de color negre, que porta al mig un forat per deixar
passar la llum que ve del condensador. Normalment porta unes pinces per fixar
la preparació o, millor, un aparell adossat que s'anomena CARRO MÒBIL. En alguns microscopis, fixat a la part inferior de la
platina, hi ha la SUBPLATINA,
element mecànic que aguanta el condensador, i que, en d'altres, està fixada
directament sobre la part inferior del braç.
Als microscopis moderns la platina es desplaça sobre una cremallera que és moguda pels comandaments d'enfocament; algunes vegades porta un mecanisme de seguretat que impedeix apropar excessivament la preparació als objectius, per evitar trencar la preparació o ratllar la lent.
EL CARRO MÒBIL és una peça metàl·lica que porta una pinça per fixar la preparació, que va muntada sobre uns eixos de coordenades i per mitjà d'un cargol coaxial es pot moure la preparació de dreta a esquerra i de dalt: a baix. Als costats del carro mòbil s'hi troben unes regletes graduades amb un nònius que fan possible tornar a observar un punt determinat de la preparació per mitjà de les seves coordenades.
EL REVÒLVER PORTAOBJECTIUS és una peça metàl·lica circular que porta roscats els diferents objectius del microscopi, normalment tres o quatre, encara que els microscopis molt bons en poden portar fins a sis.
EI revòlver portaobjectius és una peça giratòria que, amb un lleuger moviment de la mà, ens permet canviar ràpidament d'objectiu; perquè, en girar, cada objectiu encaixi bé i estigui alineat amb el prisma, hi ha un pinyó de fixació.
El TUB és una peça metàl·lica, cilíndrica i buida, que porta a un extrem l'ocular i per l'altre està encaixat al prisma. La seva longitud té una mida prefixada pel tipus de lent que porta el microscopi. L'ocular va introduït al tub i no roscat, la qual cosa permet de canviar-lo fàcilment.
Els DISPOSITIUS D'ENFOCAMENT són dos cargols coaxials normalment situats a ambdós costats de la base del braç i que, en moure'ls, desplacen la platina fent-la pujar i baixar, és a dir, situant la preparació més a prop o més lluny de l'objectiu. EI cargol més exterior s'anomena CARGOL MACROMÈTRIC, és de pas ràpid i realitza un primer enfocament, mentre que el CARGOL MICROMÈTRIC és de pas lent i realitza un ajust amb més precisió de l'enfocament.
Elements
òptics del microscopiEls elements òptics fonamentals que formen el microscopi són l'OCULAR, l'OBJECTIU i el CONDENSADOR. Aquestes lents són la part més important i delicada i tenen com a funció prioritària la formació de les imatges i la correcta il·luminació de la preparació.
Els OBJECTIUS són les lents que, protegides normalment per una carcassa metàl·lica o de plàstic, van roscades sobre el revòlver portaobjectius; damunt seu porten gravada una xifra que indica el seu augment: x4, x1 O, x40, x1 00, etc. Com a norma general, es pot dir que els objectius són de major augment com més petita és la lent frontal i a l'inrevés.
Els objectius són les lents principals del microscopi ja que són les formadores de la imatge augmentada; aquesta imatge no podrà ser modificada per les altres lents, per tant, la qualitat d'un microscopi vindrà donada essencialment per la de l'objectiu.
Actualment s'està generalitzant l'ús de franges de colors molt visibles sobre el cos de l'objectiu per diferenciar els uns dels altres. També cal dir que els microscopis moderns porten normalment OBJECTIUS PARAFOCALS; això vol dir que, si un objectiu està enfocat, en canviar-lo per un altre, aquest també hi queda i en tot cas, només amb un petit retoc del cargol micromètric, quedarà perfectament enfocat.
Normalment els objectius de poc augment, com puguin ser per exemple x4 i x10, s'enfoquen lluny de la preparació, però els de gran augment, com puguin ser els de x40 i x100, s'enfoquen a una distància molt curta de la preparació; això fa que, si no es té molta experiència en enfocar, es pugui trencar la preparació i el que és més greu, es pugui ratllar la lent. Per evitar-ho normalment els objectius de x40 i x100 porten un mecanisme de seguretat, que essencialment està format per una molla protectora situada al seu interior; així, si quan enfoquem, per un descuit, xoca l'objectiu amb la preparació, aquest retrocedeix evitant els possibles accidents esmentats abans.
TIPUS D'OBJECTIUS: Tots els objectius estan calculats per treballar en un medi específic. Normalment fem servir dues classes d'objectius: els que s'anomenen secs i d'immersió. En els del primer tipus, entre la lent frontal de l'objectiu i la preparació, hi ha aire, mentre que en els del segon tipus, s'ha de col·locar una gota d'oli de cedre o d'oli d'immersió entre la preparació i la lent; això es pot fer fàcilment ja que aquests objectius, per les seves característiques, s'enfoquen a una distància molt curta de la preparació. Aquests objectius, que generalment són els de màxim augment (x100), porten escrita la paraula "oil".
Càlcul de L'AUGMENT TOTAL del microscopi: S'obté en multiplicar l'augment de l'objectiu que tenim en un moment donat per l'augment de l'ocular. Per exemple, si tenim un objectiu de x40 i un ocular de x15, tindrem una ampliació total de 600 vegades la mida real de l'objecte que observem.
ELS OCULARS són les lents situades a l'extrem superior del tub i tenen com a missió augmentar la imatge formada per l'objectiu. EI seu nom (del llatí "oculos") indica que és el lloc per on ha de mirar l'observador.
Normalment porten gravat el seu augment a la part superior; els que més s'usen són els de x8, x10 i x15, i els més curts són els de més augments.
El CONDENSADOR és el tercer element òptic bàsic del microscopi; està format per un sistema de lents que tenen la funció de donar una il·luminació uniforme a tot el camp visual; concentra, doncs, el feix de rajos lluminosos que arriben de la font d’il·luminació. EI condensador va fixat a un mecanisme anomenat subplatina que pot apropar-se o allunyar-se de la preparació per mitjà d'una cremallera amb un cargol de comandament o d'altres sistemes mecànics que facin la mateixa funció.
La muntura del condensador porta normalment, a la part inferior, un diafragma iris semblant al de les màquines fotogràfiques, que pot obrir-se i tancar-se gradualment fent que el feix de llum que arriba al condensador sigui més o menys gruixut; també pot portar un portafiltres, que és una anella de metall que es pot treure i posar fàcilment i on hi ha una ranura circular per poder posar-hi vidres de colors, és a dir, filtres de llum.
FOCUS D'IL.LUMINACIÓ: Actualment la major part de microscopis porten incorporada, al peu, la seva font d’il·luminació elèctrica i tenen a la part superior un vidre esmerilat que actua com a difusor de la llum. Sobre aquest vidre, alguns microscopis (petrogràfics) hi poden 'portar el polaritzador mòbil.
Antigament els microscopis tenien com a focus d’il·luminació un mirall amb el qual podien captar un feix de llum d'una finestra o d'un llum i reflectir-lo cap al condensador.
Maneig del
microscopiManejar correctament el microscopi és una cosa que l'alumne, guiat convenientment pel professor, anirà assolint al llarg del curs, és a dir que es tracta d'un procés eminentment pràctic; com a orientació caldrà seguir els següents passos:
1. Cal il·luminar el microscopi per mitjà de la seva font d’il·luminació; cas que el microscopi porti mirall, tindrem cura d'orientar-lo cap a una finestra o apropar-li un llum de forma que el camp d'observació estigui com més il·luminat millor.
2. S'ha de col·locar la preparació sobre la platina i fixar-la amb les pinces, situant-la al centre.
3. Cal col·locar l'objectiu de menor augment i situar la platina a una bona distància i, mirant per l'ocular, començar a pujar poc a poc la platina, per mitjà del cargol macromètric, fins que es vegi una imatge completament nítida. Normalment els objectius de pocs augments són molt lluminosos, la qual cosa obliga a baixar una mica el condensador i obrir el diafragma. Moltes vegades per veure-hi bé cal tenir poca llum, ja que els objectes (per exemple, organismes unicel·lulars vius tipus ciliats, flagel·lats, etc.) es veuen més bé sobre un camp lleugerament enfosquit que sobre un camp molt il·luminat.
4. Pel que fa als oculars, una norma general és que per obtenir una bona visió cal usar sempre l'objectiu de major augment amb l'ocular de menor augment.
5. Un cop feta una primera observació de la preparació, que ens permet de fer-nos una idea del seu contingut, centrem l'objecte que volem ampliar i, per mitjà del revòlver portaobjectius, passem a un objectiu més gran; generalment, com ja s'ha dit abans, si els objectius són parafocals no necessiten tornar-se a enfocar, només s'ha de fer un petit ajust amb el cargol micromètric.
6. Cal anar amb compte, en canviar els objectius, que quedin perfectament alineats amb el tub, per això el revòlver portaobjectius va provist d'un pinyó que ens indica quan l'objectiu està perfectament situat.
7. A mida que col·loquem objectius de major augment cal anar regulant la quantitat de llum per mitjà del condensador i del tancament del diafragma.
Maneig
del microscopi
Llegeix,
molt important! Sempre que vulguis observar una preparació, has de seguir els següents passos:
1. Es comença a mirar sempre amb l’objectiu de menor augment (el més curt).
2. Enfoquem primer amb el botó macromètric (el més gros) .
3. Retoquem l’enfocament amb el botó micromètric (el petit).
4. Un cop seleccionada la part de la preparació que volem observar amb més detall, sense tocar el macro ni el micro, anem canviant l’objectiu sempre de menys a més augments. Només retoquem l’enfocament amb el micro i per tant no hem de tocar més el botó macromètric.
Per tal de recordar bé les recomanacions anteriors, pots comparar el microscopi amb un cotxe i les seves marxes:
5. Arranquem el cotxe amb primera (objectiu curt, de menys augments).
6. Un cop el cotxe en marxa, passem a segona, tercera, quarta, tercera, segona... sempre en aquest ordre, sense saltar-se cap marxa. De la mateixa manera podem passar de més a menys augments però de forma correlativa, sense salts.
7. El cotxe s'engega només al començament. Tan sols s'ha de tornar engegar si el cales (s’atura). De la mateixa manera, enfoquem amb el macro al començament. Al llarg de la nostra cursa, anem retocant l'enfocament sempre amb el micro.

Observacions d´organismes unicel.lulars, cèl.lules
vegetals i animals.Cada grup ha de realitzar un mínim de dues preparacions i fer les observacions amb el microscopi. Les pautes de com es fan les preparacions estan a la taula del professor, l’agafeu i després la torneu al seu lloc.
1. Llegir la pauta de la preparació que voleu fer.
2. Fer la preparació tot prenent nota del que feu: observació de..., material necessari, descripció del procés...
3. Posterior observació al microscopi, tenint present el següent:
a. Realitza primer una observació a pocs augments.
b. Escull la part més adient de la mostra movent el portaobjectes i centra-la per observar-la a augments més grans.
4. Dibuixa el que vegis amb els diferents augments.
5. Posa el nom de les parts de la cèl·lula que distingeixes Anota al costat de cada dibuix l'augment amb el que has fet l'observació.
6. Fes una descripció del que has observat.
7. En els éssers vius que has observat...
a. Quines són les principals característiques del seu cos?
b. Quines són les formes més típiques de moviment
c. A quin teixit pertanyen aquestes cèl·lules?
d. Quina és la seva funció?
Pots completar la descripció de les diferents pràctiques que has fet amb tot allò que creus que pot ser interessant.
Si has fet una bona preparació i es veu bé al microscopi, ho comentes als teus companys perquè ells també ho puguin veure. Si la preparació no ha sortit bé, ho tornes a provar i que hi hagi més sort.
Bona feina a tothom!
Ä Realitzar una senzilla preparació microscòpica de cèl·lules animals.
Ä Realitzar un senzill tintatge.
Ä Observar i dibuixar una cèl·lula
· Microscopi
· Portaobjectes
· Agulla emmanegada
· Cobreobjectes
· Focus calorífic
· Comptagotes
· Càpsula de Petri
· Escuradents
Blau de metilè.
Cèl·lules de mucosa bucal.
Llegeix
Amb
les mans ben netes o amb l'ajut d'un escuradents, extreu una mica de la mucosa
interna de la teva galta i posa el producte extret en el centre d'un
portaobjectes.
Posa al damunt del producte una gota d'aigua.
Realitza una extensió uniforme del producte amb l'ajut d'una agulla emmanegada i escalfa suaument el portaobjectes fins que l'extensió sigui seca.
Disposa el portaobjectes al damunt d'una càpsula de Petri i afegeix unes gotes de blau de metilè damunt l'extensió.
Després de tenyir uns dos minuts, renta bé amb aigua mitjançant el comptagotes fins que no destenyeixi.
Col·loca el cobreobjectes i realitza l'observació a pocs augments, per tal de comprovar la qualitat de la preparació.
ObservacionsRealitza primer una observació a pocs augments.
Escull la part més adient de la mostra movent el portaobjectes i centra-la per observar-la a augments més grans.
1. Dibuixa el que vegis amb els diferents augments.
a. Fes els dibuixos a escala.
b. Posa el nom de les parts de la cèl·lula que distingeixes.
c. Anota al costat de cada dibuix l'augment amb el que has fet l'observació.
2. Fes una descripció del que has observat.
3. A quin teixit pertanyen aquestes cèl·lules?
4. Quina és la seva funció?
Quina pàgina?Has d’obrir l’activitat del JClic que s’anomena Aparells del cos humà. Pots anar-hi de dues formes:
Ä Directament a http://clic.xtec.net/db/act_ca.jsp?id=1082
Ä Obrir la pàgina de la XTEC, anar a Aula Oberta // Zona Clic // Català // Biblioteca d’activitats // Cerca d’activitats i cercar per Títol posant les paraules “aparells humà”,... només et sortirà una activitat.
Pots iniciar l’activitat clicant l’opció Versió JClic – català // engega’l (applet).
Dels sis aparells d’aquest applet, comença pel circulatori. Si tens temps (segurament si) podràs exercitar-te amb els altres.
Recorda de treballar amb tranquil·litat però de forma efectiva perquè el JClic memoritza tot els encerts, errors, salts d’activitats, repeticions... per obtenir la qualificació final. Quan acabis crida al professor perquè s’apunti la qualificació.
Bona feina!
Observa i contesta...1.
Ara
que has acabat l’activitat pots omplir els quadres amb els noms corresponents.
Hauries de fer-ho sense consultar l’activitat JClic.
2. Explica amb tres frases el cicle cardíac.
a.
b.
c.
3. Quina és la diferència entre una vena i una artèria?
4. Quines són les cèl·lules de la sang?
5.
6. En una frase explica quines són les funcions de la sang.
La
torrada i el pernilEn el següent text trobaràs, un exemple concret de funcionament cel·lular, i podràs seguir el camí de les substàncies que el fan possible. Però abans, cal que completis cada espai en blanc amb la paraula més adient de totes les que trobaràs a continuació ( pots posar la mateixa més d'un cop):
Ä
Cèl·lules, orina, obtenir-ne energia,
aliment, contreure’s, diòxid de carboni (C02 ) , oxigen, digerir,
sang, substàncies de rebuig, nutrients, s'expulsa a l'exterior, matèria i
energia.
"En la nostra vida hem de fer moltes activitats, com per exemple parlar. Per parlar, s'ha de moure la llengua, que, com tots els òrgans del cos, és formada per.......................... Les ......................... musculars de la llengua es contreuen i en fan possible el moviment. Per contreure's, aquestes ....................... necessiten ............................ i ................................. Vegem com ho aconsegueixen. Imagina't que et menges una torrada amb pernil:
........................ passa per la boca, l’estómac, i per una part del budell prim. Al llarg d'aquesta trajectòria es transforma. Ara podem diferenciar-hi dues parts: una part formada per ...................... molt petits, els quals s'absorbeixen i passen a la .............., i una altra part que no s'ha pogut .................... i ........................
Alhora, l’..................... entra des de l'exterior als pulmons i passa a la ............, com aquestes molècules petites que hem esmentat anteriorment.
A la ..................... trobarem els .................... que han entrat pel budell i l’................ que ha entrat pels pulmons. El cor impulsa la sang amb força i distribueix les substàncies anteriors a totes les cèl·lules del cos.
La cèl·lula muscular de la llengua aconsegueix l’.............. i els ................... que li porta la sang. Aquesta cèl·lula muscular utilitza I’................. per “cremar” els .................... i obtenir-ne ................... L’..................... fa funcionar la cèl·lula, que la gasta per fer la seva activitat, es a dir per ....................... La contracció de moltes cèl·lules musculars fa moure la llengua per poder parlar.
Ara bé, en obtenir l'energia es forma ................................. i altres...................................... que no es poden acumular i que surten de la cèl·lula, la .................. els recull i s'allunyen de la cèl·lula.
Quan la .............. arriba als pulmons, el............................ surt de la sang i passa a l'ambient extern
Quan la sang arriba als ronyons, les ..................................... surten de la sang. EI ronyó produeix l’................. , que amb aquests productes serà expulsada a l'exterior.
Es així com la cèl·lula muscular de la llengua pot funcionar. Adona't de la quantitat d'aparells implicats en aquest funcionament, primer per portar les substàncies a les cèl·lules i després per eliminar els residus produïts a la cèl·lula.
Pensa ara en el llarg camí que han recorregut i tots els llocs per on han passat l'oxigen i les molècules contingudes en la torrada i el pernil per arribar a la seva destinació, malgrat que, quan eren a la boca, es trobaven tan properes a la cèl·lula muscular de la llengua."
Material 1 tub d'assaig, 1 canya de refresc, xeringa de plàstic, comptagotes, aigua de l'aixeta i blau de bromotimol.
Llegeix: Àcids i basesSaps que hi ha substàncies que són àcides, també hi ha substàncies que són bàsiques (tot el contrari) i substàncies que són neutres.
Les substàncies àcides es caracteritzen perquè poden cremar (si són fortes) i tenen gust picant (si són fluixes). Químicament es distingeixen perquè en dissolució en aigua contenen càrregues positives (cations: H3O+ o H+).
Les substàncies bàsiques també poden ser fortes o fluixes i poden ser perilloses (també cremen) però normalment tenen un tacte llefiscós. Químicament es comporten de tal manera que dissoltes en aigua donen càrregues negatives (anions: OH-).
També hi ha substàncies neutres i per tant no tenen cap de les característiques anteriors.
1. Segurament podràs classificar les següents substàncies: Llimona, Coca-cola, sal, bicarbonat, lleixiu, vinagre, sucre, amoníac, salfumant
|
Àcides |
|
|
Bàsiques |
|
|
Neutres |
|
Les propietats dels àcids s’anul·len quan hi poso una base (es neutralitza) o a la inversa.
Ä H3O+ + OH- à 2 H2O
Ä H+ + OH- à H2O
L’acidesa la podem mesurar amb el pH (pehac) de manera que si
Ä pH = 7 vol dir que la substància és neutra.
Ä pH < 7 significa que és àcida
Ä pH > 7 caracteritza a les substàncies bàsiques
2. Perquè creus que els fabricants de xampú tenen tant d’interès en anunciar el seu producte té pH neutre?
3. Els que tenen piscina sovint han de mirar el pH de l’aigua i adequar-lo. Quin valor creus que ha de tenir el pH de l’aigua d’una piscina?
4.
Un indicador (en el nostre cas: blau de bromotimol) és una substància que canvia de color quan passem d’un medi àcid a un medi bàsic. El blau de bromotimol és blau en medi bàsic i groc en medi àcid.
Procediment
i més qüestionsEI blau de bromotimol és un indicador de pH que a pH bàsic té un color blau i a pH àcid té un color grog. La zona de viratge d'aquest indicador és 6/7.
1. Agafa un tub d'assaig ben net i posa-hi 4 ml d'aigua. Afegeix 2 o 3 gotes de blau bromotimol a cada tub d'assaig. Quin color té la dissolució? Per tant, és àcida o bàsica?
2. L’aigua, no hauria de ser neutre? Quina substància hi ha a l’aigua de l’aixeta que fa que no tingui el pH neutre?
3.
4. Amb la xeringa, injecta aire amb la canya en l’aigua del tub d'assaig, fent bombollejar l'aigua. Fes-ho unes deu vegades. Què passa?
5. Fes el mateix però ara bufant (aire procedent dels pulmons) i fent bombollejar l'aigua. Fes-ho també unes quantes vegades. Què observes ara?
6. Compara els resultats i emet una hipòtesi del que ha passat.
7. Fent una anàlisi més acurada de l'aire inspirat i expirat, s'han obtingut les següents dades:
|
|
Aire inspirat (%) |
Aire expirat (%) |
|
O2 |
20 |
16 |
|
N2 |
79 |
79 |
|
CO2 |
0,08 |
4,03 |
|
Altres gasos |
0,97 |
0,97 |
|
Vapor d'aigua |
Variable |
Variable |
8. Compara aquestes dades amb la hipòtesi que has emès. Te la reafirmen?
9. Si no és així, emet una altra hipòtesi relacionant aquestes dades amb l'experiment.
10. Escriu la reacció que té lloc al tub on has bufat.
11. D'on ve la substància que fa canviar el pH de l'aigua del tub d'assaig?
12.
13. Dels òxids de sofre (i nitrogen) que emeten algunes fàbriques o centrals elèctriques s’arriba a obtenir la pluja àcida (molt perjudicial pel medi ambient). Aquests òxids són àcids? Pots explicar el procés? Quin és nom de l’àcid que conté aquests pluja?
Quines pàgines?Pots consultar un parell de pàgines web que et facilitaran la informació per poder contestar el seguit de qüestions que et plantegem sobre l’aparell digestiu...).
Pots anar directament a...
1. La pàgina http://www.medtropolis.com/VBody.asp.
2. L’animació de la Fundación Eroski (cadena de supermercats bascos) www.consumer.es a l’apartat Alimentación // Salud y alimentación // Alimentación en el adulto y vejez // La digestión de los alimentos paso a paso.
Observa i contesta...1. Omple la següent taula sobre els nutrients essencials per a l’ésser humà.
|
|
Nom |
Funció |
|
Macronutrients |
|
|
|
|
|
|
|
|
|
|
|
Micronutrients |
|
|
|
|
|
2. En el procés de digestió les molècules grans es degraden i es converteixin en molècules més senzilles com ara ...
3. Quina és la longitud mitjana de l’aparell digestiu d’una persona?
4.
5. Estàs d’acord amb la frase “la digestió comença a l’estómac”? Comenta-ho.
6. A la boca tenen lloc dos processos, quins són?
a.
b.
7. Quina és la funció de la saliva? Quin òrgan l’elabora?
8. Quin mecanisme provoca que els aliments baixin per l’esòfag fins l’estómac?
9. Què són els esfínters de l’esòfag, quants n’hi ha i quina és la seva funció?
10. En l’estómac té lloc dos processos, un d’ells és físic. Quin és?
11. Quines substàncies s’alliberen en l’estómac i quina és la seva funció?
12.
13.
Els
processos químics que tenen lloc a l’estómac els podem resumir en tres
procediments:
a.
b.
c.
14. Què són els enzims i quina és la seva funció?
15. Com a resultat de la digestió a l’estómac es forma una massa anomenada ...
16. Quin és el procés més important que té lloc a l’intestí prim?
17. El
fetge produeix una substància, ...................., que és emmagatzemada en la
................... .....................
i després en l’intestí prim té la funció de ...
18.
19. El
pàncreas és una glàndula que produeix
................................................... que té
com a funció...
20. Quines són les tres parts de l’intestí prim?
21.
22. Les dues funcions de l’intestí gruixut són...
a.
b.
23.

Finalment posa noms a totes les parts que coneguis del dibuix següent del
sistema digestiu.
24. Et pots ajudar de l’activitat número 3 que trobaràs a...
a. http://recursos.cnice.mec.es/biosfera/alumno/3ESO/diges/actividad3.htm.
25. Ah, si encara et sobra temps pots comprovar els teus coneixements sobre la funció de l’estómac fent l’activitat número 5 que trobaràs a...
a. http://recursos.cnice.mec.es/biosfera/alumno/3ESO/diges/actividad5.htm.
Quina pàgina?Obre la pàgina Todo corazón, la pots trobar a www.cnice.mec.es // Jóvenes // Ciencias Naturales.
També pots anar directament a la pàgina de CNICE, que vindria a ser com la XTEC del Ministerio de Educación y Ciencia:
http://w3.cnice.mec.es/eos/MaterialesEducativos/mem2003/todocorazon/
Has de visitar sobretot els apartats Como es? i Actividades per poder contestar el qüestionari i també per preparar la dissecció del cor de xai que realitzaràs al laboratori.
Qüestionari1. ¿Como es? // Generalidades: L’aparell circulatori té tres característiques: obert/tancat, simple/doble i complet/incomplet. Fes un dibuix esquemàtic de cadascuna d’aquestes característiques.
a.
Obert Tancat
b.
Simple Doble
c.
Complet Incomplet
2. ¿Como es? // En vertebrados: Quines característiques tenen els aparells circulatoris dels següents animals:
a. Peixos
b. Rèptils
c. Ocells
d. Humans

3. Actividades // Disecciones virtuales: Observa amb atenció tota l’animació de la dissecció virtual del cor de xai. Escriu les fases que hauràs de portar a terme, els talls que caldrà realitzar i el que podràs observar en cadascuna.
a. Identificació 1 (vista posterior):
b. Identificació 2 (vista anterior):
c. Fase 1 (ventricle dret obert):
Tall:
Observarem:
d. Fase 2 (ventricle esquerra obert):
Tall:
Observarem:
4. Mira’t la secció Nos tomamos el pulso (té quatre apartats). Després de llegir-ho atentament, pren-te el pols cinc vegades (cada vegada durant 15 segons) i omple la taula.
|
|
Durant 15 segons |
Pulsacions / minut |
|
1 |
|
|
|
2 |
|
|
|
3 |
|
|
|
4 |
|
|
|
5 |
|
|
|
Mitjana |
|
|
5. Ara podem estudiar plegats una mica d’estadística: nois/noies, esportistes/no esportistes...
6. Per acabar pots realitzar Test i Crucigrama de l’apartat ¿Cuánto has aprendido? Si has treballat bé segur que obtindràs bons resultats, bona feina!

Material
Tisores, bisturí, agulla emmanegada,
pinces, safata, gerra, tub flexible de 25 cm i guants. Fotocòpies de la
web: “Todo corazón”.
Ves prenent nota de tot el que fas, i després has de fer un informe del que has fet i del que es va demanant.
Abans de fer la dissecció del cor observa l'aparell respiratori i el cor.
1. Dibuixa'l i assenyala'n les parts (tràquea, esòfag, pulmó dret, pulmó esquerre i cor).
2. Demana al pares o als avis com s’anomena a la carnisseria.
Introdueix
un tub flexible per la tràquea i bufa-hi.
1. Què succeeix?
2. Quin dels dos pulmons és més gran i quants lòbuls té cada pulmó?
Separa amb les tisores el cor dels pulmons. Obre la tràquea amb les tisores, segueix pel bronqui i els bronquíols, fins a arribar al pulmó, observa la ramificació dels bronquiols i els alvèols pulmonars.
3. Fes un dibuix i descriu com són.
Talla un tros de pulmó i posa’l dins una gerra amb aigua.
4. Explica i interpreta el que hi passa.
Llença a les escombraries orgàniques tota la part dels pulmons i la tràquea.
Posa el cor orientat en posició dorsal o cara posterior.
1. Fes-ne el dibuix i col·loca els següents noms: aurícula i ventricle esquerra i dreta; i el solc interventricular (que té direcció vertical).
Gira el cor, ara el tens en posició ventral o cara anterior.
2. Fes-ne el dibuix i a més de les aurícules i ventricles posa el nom del solc ventricular (línia obliqua que coincideix amb l'envà intern de separació dels ventricles) i l’artèria aorta i pulmonar.
Ara farem la dissecció del cor que es troba en posició ventral o anterior: a 1 centímetre del solc ventricular que correspon al ventricle dret del cor (és a dir la teva esquerra) fem un tall amb el bisturí fins a trobar el ventricle dret i a continuació amb les tisores anem obrint paral·lelament al solc fins a arribar a l’artèria pulmonar.
Amb l’ajut de les pinces identifica les dues vàlvules de la part dreta del cor. La comunicació entre l'aurícula i el ventricle dret es fa a través de la vàlvula tricúspide.
3. Fixa't en la seva estructura i descriu-la.
4. Fes el mateix amb la vàlvula semilunar.
Localitza
l’entrada de la vena cava i obre l’aurícula dreta.
Per fer la dissecció del cor esquerre: talla seguint l'artèria aorta i seccionant la paret de la cara anterior del cor fins a un centímetre a l'esquerra del solc longitudinal. Observa la vàlvula mitral o bicúspide, situada entre l'aurícula i el ventricle esquerra i la vàlvula semilunar.
Obre l’aurícula dreta amb les tisores partint de les venes pulmonars.
5. Fes un esquema del cor amb les quatre cavitats, els envans, les vàlvules i els vasos sanguinis que entren al cor o en surten (això ho pots fer a casa).
6. Com són les parets de les aurícules?
7. Quina diferència hi ha entre l'aurícula dreta i l'esquerra?
8. Fixa't en el gruix de les parets ventriculars.
9. Per què és més gruixuda la paret del ventricle esquerre?
Identifica-hi les tres capes: la més externa o epicardi, lluent i llisa; la mitjana és el miocardi; i la interna és l’endocardi, format per l'endoteli.
10. Quina missió tenen les diferents vàlvules?
Llença a les escombraries orgàniques el cor que has disseccionat, neteja els estris utilitzats i llença els guants a les escombraries...........................
Omple els espais buits en les següents frases:
1. La sang ................... arriba al cor per les .............................. entra a l'............................. i passa al .................................. per la vàlvula ........................
Surt a través de la vàlvula ..................... a l' ...................... i va cap els ...................... Retorna al cor per les ............................ entra a l' .............................. i, travessant la vàlvula ........................ passa al ..................... , d'on surt per l'................................ en direcció a tot el cos .
1. Emplena la següent taula amb tot el que has menjat i begut al llarg de tres dies. Fes-ne la descripció amb mesures casolanes, grams i racions. El càlcul per racions l'has de fer tal com t'indica la taula de racions que t’adjuntem en aquest dossier.
|
Primer dia |
||||
|
Àpat |
Aliments i begudes |
Quantitat |
Racions |
Grup |
|
Esmorzar |
|
|
|
|
|
Dinar |
|
|
|
|
|
Berenar |
|
|
|
|
|
Sopar |
|
|
|
|
|
Segon dia |
||||
|
Àpat |
Aliments i begudes |
Quantitat |
Racions |
Grup |
|
Esmorzar |
|
|
|
|
|
Dinar |
|
|
|
|
|
Berenar |
|
|
|
|
|
Sopar |
|
|
|
|
|
Tercer dia |
||||
|
Àpat |
Aliments i begudes |
Quantitat |
Racions |
Grup |
|
Esmorzar |
|
|
|
|
|
Dinar |
|
|
|
|
|
Berenar |
|
|
|
|
|
Sopar |
|
|
|
|
2. Aquí tens les recomanacions de racions diàries per a adolescents i les mides d’una ració.
|
Aliments |
Racions/dia |
Mides aproximades per ració |
|
1. Làctics |
3 racions |
· 1 got de llet · 2 iogurts · Formatge (50 g) · Recuit (100 g) |
|
2. Carn, peixos i ous |
2-3 racions |
· 1 bistec · ¼ de pollastre · 2 rodanxes de peix · 2 ous |
|
3. Oli |
40 a 60 g |
|
|
4. Pa i fècules |
5-6 racions |
· 1 pa petit o 2-3 llesques de pa · 1 patata mitjana · 1 plat d’arròs o fideus |
|
5. Verdura i hortalisses |
2-4 racions |
· ½ plat de verdures · 1 plat d’enciam |
|
6. Fruites |
2-3 racions |
· 1 poma, 1 taronja, 1 pera o 1 plàtan · 1 rodanxa de meló · 2 o 3 mandarines · 3 o 4 albercocs · ½ tassa de maduixes o cireres |
3. Fes la comparació entre les racions que has consumit i les recomanades al llarg d’un dia.
|
|
Aliment |
N'he pres |
N'hauria d'haver pres |
N'he pres de més o de menys |
|
Grup1 |
Llet i derivats |
|
|
|
|
Grup 2 |
Carn |
|
|
|
|
Peix |
|
|||
|
Ous |
|
|||
|
Fruits secs |
|
|||
|
Grup 3 |
Oli |
|
|
|
|
Grup 4 |
Pa |
|
|
|
|
Arròs i pasta |
|
|||
|
Llegums |
|
|||
|
Patates |
|
|||
|
Dolços |
|
|||
|
Sucre |
|
|||
|
Grup 5 |
Verdures |
|
|
|
|
Grup 6 |
Fruites |
|
|
|
|
Altres |
Llaminadures |
|
|
|
|
Begudes refrescants |
|
|
|
4.

Escriu el nom dels aliments ingerits durant aquests tres dies dintre del
semicercle corresponent al seu origen (industrial, vegetal o animal) i sobre
cadascun dels nutrients que conté l’aliment mateix. Recorda que un mateix
aliment el pots situar en més d’una casella.
5. Amb tota la informació que has recollit en els apartats anteriors en relació als teus hàbits alimentaris, fes una valoració dels mateixos i, si s’escau, fes suggeriments per millorar-los.
6. Emplena la taula adjunta i fes ara la valoració de la teva dieta des del punt de vista nutricional i energètic. Per a fer els càlculs, consulta les taules que trobaràs en les pàgines 47 i 49 del teu llibre de text.
|
|
Aliment |
Massa
(g, grams)
|
Energia (kcal) |
Proteïnes (g) |
Greixos (g) |
Glúcids (g) |
|
Esmorzar |
|
|
|
|
|
|
|
|
|
|
|
|
|
|
|
|
|
|
|
|
|
|
|
|
|
|
|
|
|
|
|
|
|
|
|
|
|
|
|
|
|
|
|
|
|
|
|
Dinar |
|
|
|
|
|
|
|
|
|
|
|
|
|
|
|
|
|
|
|
|
|
|
|
|
|
|
|
|
|
|
|
|
|
|
|
|
|
|
|
|
|
|
|
|
|
|
|
Berenar |
|
|
|
|
|
|
|
|
|
|
|
|
|
|
|
|
|
|
|
|
|
|
|
|
|
|
|
|
|
|
|
Sopar |
|
|
|
|
|
|
|
|
|
|
|
|
|
|
|
|
|
|
|
|
|
|
|
|
|
|
|
|
|
|
|
|
|
|
|
|
|
|
|
|
|
|
|
|
|
|
|
Altres |
|
|
|
|
|
|
|
Totals |
|
|
|
|
|
|
7. Calcula la teva despesa energètica diària:
a.

Calcula la teva taxa de metabolisme basal. Anota’n el resultat i divideix-lo entre 24. Així
obtindràs la teva TMB per hora.

b. Completa la següent taula, indicant el nombre de hores al dia que dediques a fer diverses activitats quotidianes: exercici físic, estudiar, caminar, descansar..., així com l’energia consumida al dia en cada tipus d’activitat. Suma les quantitats obtingudes en la última columna. Així obtindràs la despesa calòrica que fas cada dia.
|
Activitat
física i necessitats energètiques |
||||
|
Tipus d’activitat |
Energia consumida/ hora |
Hores |
Energia consumida x núm. hores dedicades |
|
|
Repòs |
TMB/24 = |
|
|
|
|
Activitat relaxada |
1,5 · TMB/24 = |
|
|
|
|
Activitat lleugera |
2 · TMB/24 = |
|
|
|
|
Esforç moderat |
5 · TMB/24 = |
|
|
|
|
Esforç intens |
7 · TMB/24 = |
|
|
|
|
Esforç molt intens |
15 · TMB/24 = |
|
|
|
|
TOTALS: Hores i despesa calòrica diària |
|
|
||
c. Compara el valor obtingut en l’apartat b en relació a la teva despesa calòrica diària, amb el valor mitjà que et dona el teu llibre de text (pàgina 47). Es corresponen els dos valors? Si són diferents, explica les possibles causes de les diferències.
|
La meva despesa energètica diària (kcal) |
Despesa energètica diària orientativa
(kcal) (pàg. 47) |
|
|
|
d. En l’apartat 4 has calculat la quantitat de kcal que has ingerit en un dia concret. En l’apartat 5.b has calculat la teva despesa energètica diària. Compara aquests dos valors.
|
La meva despesa energètica diària (kcal) |
kcal ingerides / dia |
|
|
|
e. Són aproximadament iguals els dos valors? Comenta-ho.
f. Són significativament diferents? Comenta-ho.
g. Explica breument, quines conseqüències pot tenir aquest fet?

Mònica és una noia de 15 anys. Estudia i des de fa dos anys ha perdut molt de pes.
( ... ) És una noia àgil i li agrada estar en forma. S'aixeca molt d'hora i corre pels carrers de la seva ciutat, tot i que més tard dediqui dos o tres hores a ballet o a gimnàs. És llesta i treballadora i obté unes excel·lents notes, i la veritat és que s'esforça per tal d'aconseguir-les.
A més, darrerament està demostrant ser una gran cuinera. Prepara unes postres delicioses i no només això, sinó que sovint aconsella encertadament als seus germans sobre el tipus de nutrició que els hi cal per fer esport.
Com és que els seus pares estan preocupats per ella? L'han portat al metge sovint, l'insisteixen perquè mengi més i quan són a taula la situació es fa insuportable. Mònica, amb et plat davant, toca i reparteix el menjar, a vegades en pren una mica, però ha d'anar al bany immediatament (una vegada allà, escup el que té a la boca). Sabem que de vegades amaga el menjar a les butxaques o el guarda en els tovallons. Fins i tot s'ha notat una olor desagradable a la seva habitació, ja que ha deixat restes de menjar en llocs amagats i naturalment s'han fet malbé ...
Mònica era el que se sol dir "un preciós bebè" i després una nena més aviat rodoneta. Ella recorda amb amargor que el seu pare l'anomenava carinyosament "la meva boleta" i encara ara de vegades ho fa. Tot va començar aproximadament fa tres anys, quan li va venir la regla. Va fer "el canvi" i va notar que el seu cos es desenvolupava. Esparverada, va comprovar que el seu pes augmentava. Si ja havia estat una nena pleneta, quin tipus de dona seria? Va decidir controlar el seu pes. D'una vegada per totes aconseguiria ser una dona atractiva. No volia de cap manera ser una dona grassa. Va comprovar que no era gaire difícil trobar informació de com ser maca. Podia documentar-se àmpliament sobre règims dietètics en moltíssimes revistes '"femenines", tanmateix als diaris, a la televisió, a la ràdio, únicament anant de casa seva a l'escola podia llegir gran quantitat d'anuncis de productes que aprimaven a les farmàcies que trobava pel camí. Va aprendre ràpidament quins aliments eren saludables i quins eren perjudicials. Si volia ser maca i saludable no devia menjar hidrats de carboni (pastes, arrossos, llegums, pa...) o greixos de cap manera, podia consumir algun tipus d'amanida (molt poc condimentades o, millor sense condimentar), algunes fruites (però compte! el sucre que hi contenen) i en ocasions algun tipus de peix o carn (però amb cura amb el greix que hi contenen ... es parla molt del colesterol).
Es va convertir en una experta en calories. Va decidir començar un pla de dieta racional i controlar el seu pes diàriament.
AI principi era molt difícil, tot i que en aquell moment la seva mare la va recolzar totalment, però de mica en mica va aconseguir enganyar el seu apetit i descuidar-lo. Naturalment, no bastava en disminuir els àpats, sinó que a més havia d'augmentar la despesa calòrica. Això la va portar a augmentar el seu exercici físic.
Aviat es va sentir recompensada per les expressions de les seves amigues i de la seva pròpia família: "Com t'has aprimat! Que esvelta et veus! Que prima que estàs!". Aquestes expressions li donaven molta alegria, però havia d'anar en compte i no relaxar-se, perquè sinó, podia recuperar molt ràpidament tot el què havia perdut.
Li passaven algunes coses, si bé no desagradables, sí desconcertants. La menstruació li va desaparèixer ja feia un any. Això li preocupava sobretot a la mare, també a ella, però menys.
Per altra banda, tot i que estava molt contenta per les talles que havia baixat, en alguns moments, ara no li agradava ensenyar algunes parts del seu cos: a la platja, per exemple, s'estima més posar-se roba que no pas quedar-se en banyador.
Ara tots li diuen que està massa prima, però ella no s'ho veu i creu que ha d'anar en compte perquè davant el dubte de si està molt prima o molt grassa, és millor la primera opció.
D'altra banda, acostuma a sentir fred i el seu cabell està molt deteriorat. De vegades pensa que potser tinguin raó i estigui massa prima, però... si menjant tant poca cosa, va passar de 34 a 35 kg ahir, si mengés normalment, el més probable és que aviat pesaria 70 kg!
L'Ester té 19 anys. Estudia periodisme i comença a destacar en la seva carrera. Procura portar una vida independent i, darrerament, tot i que dorm a casa cada dia, menja a part de la resta de la família.
Prepara el seu propi menjar, que és molt estricte (hamburgueses, poma i iogurt) i el consumeix en solitari.
La seva mare ha acceptat aquest règim dietètic, tot i que no el considera gaire adequat. Però el que realment li ha sobtat aquest any és la desaparició immediata de tots els aliments rics en calories, que compra una vegada a la setmana. Durant molts mesos anava preguntant a l'un i l'altre si s'ho havien emportat; després d'investigar molt, va descobrir amb sorpresa que la xocolata, les galetes i altres dolços els consumia l'Ester. Això la va preocupar força, ja que sabia quins eren els costums dietètics de l'Ester, però quan va tenir una llarga conversa amb ella, va quedar esparverada en adonar-se que després de la ingestió d'aquests aliments, l'Ester els vomitava.
Ja farà cosa d'un any que aquesta situació es manté. L'Ester sempre ha estat molt preocupada pel seu aspecte. L'espanta molt augmentar el seu pes i, amb anterioritat al vòmit, havia practicat altres mètodes de control. Es proposava unes dietes molt estrictes, a vegades pràcticament dejunava un dia sencer, però com és natural, les seves "ganes de menjar augmentaven molt especialment pels aliments" prohibits. Amb molta pena, va veure que els seus intents de restricció xocaven amb un apetit desmesurat i que, seguint -segons ella- aquests "mals instints" consumia grans quantitats d'aliments prohibits. Després de la ingestió se sentia fatal. Es notava inflada i sobretot pensava que s'engreixaria terriblement. Va aprendre que podia fer alguna cosa per tal de controlar els efectes de l'afartada. Va prendre laxants i diürètics, però el més efectiu va ser provocar-se el vòmit. N'havia sentit a parlar i ho va posar en pràctica: al començament ho va trobar molt desagradable, però ràpidament ho va convertir en un hàbit amb el qual es podia permetre el luxe de menjar tot allò que volgués sense engreixar-se ni un gram.
Ara està desorientada i trastornada, voldria que el menjar no controlés la seva vida, però no sap com fer-ho. Hi ha uns aliments amb els quals se sent segura, sap que no es descontrolarà, però n'hi ha d'altres, els més desitjables, que li produeixen molt de malestar. Actualment cada dia vomita després d'atipar-se.
L'Ester se sent estranya i solitària;
mai va a un restaurant amb amics (té por de descontrolar-se). Coneix persones
que l'aprecien, però mai els podria explicar el seu problema. Els seus àpats
són el seu secret. Creu que mai podrà ser normal.
1. Quins aspectes tenen en comú les dues històries?
2. Quina creus que ha estat la. causa dels dos tipus de trastorns alimentaris que pateixen la Mònica i l'Ester?
3. Et sents identificada amb alguns aspectes del comportament de les dues noies?
4. Coneixes algun amic o amiga que pateixi anorèxia o bulímia? .
5. Et preocupa molt el teu aspecte físic?
6. Creus que per ser maco/a s'ha de ser prim/a? .
7. Creus que els mitjans de comunicació (premsa, ràdio, televisió ... ) ens indueixen a voler estar prims? De quina forma?
8. Creus que és convenient començar a fer un règim sense consultar un metge, únicament per ser tan prima com ...
9. Et sents afalagada quan et diuen que estàs prim/a?
10. Et preocupa quan augmentes alguns quilos?
11. Has vist alguna fotografia d'alguna persona anorèxica? T'agrada el seu aspecte físic?
12. Creus que valia pena posar en perill la salut, només per ser prim o prima?
Ä L'obesitat és més que sobrepès.
Ä L'obesitat i el sobrepès són el resultat d'un desequilibri energètic per un ingrés de calories superior a les nostres necessitats energètiques. Les calories que no es cremen s'acumulen en forma de greixos provocant un augment de la massa grassa.
LlegeixLlegeix atentament els dos articles de les pàgines següents publicats al diari El País els dies 11 i 17 de juliol del 2003.
QüestionariContesta les preguntes després d’haver llegit els textos.
1. Què són els àcids grassos trans?
2. Són d'origen natural o artificial?
3. Amb quina finalitat s’afegeixen als aliments?
4. En quins aliments es troben?
5. Per què són perjudicials?
6. Què es proposa fer EEUU en relació a aquests àcids grassos? Per què ho fa?
7. Quines marques alimentàries s’afegiran a la lluita contra la obesitat?
8. Quines mesures prendran?
9. Per què s'han decidit a prendre aquesta decisió?
10. Quin % de la població adulta americana és obesa actualment?
11. Quines actuacions personals creus que podries fer per evitar aquesta problemàtica?
12. A nivell familiar, proposaries als teus pares alguna cosa?
13. Creus que l’institut pot ajudar en la lluita contra l’obesitat? Anima’t i proposa alguna actuació.


Sabem que molts dels aliments que consumim han estat transformats o elaborats abans d’arribar a les nostres mans. La finalitat d’aquesta pràctica és que aprenguis a trobar i interpretar la informació que ens proporciona l’etiqueta o l’envàs dels aliments industrials, i que sàpigues valorar i triar l’aliment en funció d’aquesta informació.
MaterialQuatre etiquetes o envasos d’aliments (per anar bé, una hauria de ser d’embotit). Cal que tinguin tota la informació sobre el producte: nom, informació nutricional, ingredients, additius, data de caducitat...
Has de...Enganxar l’etiqueta de l’aliment en un full i a sota contestar el següent qüestionari:
1. Nom de l’aliment.
2. Marca industrial.
3. Ingredient principal (el primer de la llista d’ingredients).
4. Energia, glúcids, lípids i proteïnes que contenen 100 grams d’aquest aliment.
5. En quin grup d’aliments (1 al 6) el classificaries? Explica’n el perquè.
6. Fes una relació dels additius que conté, indicant les característiques de cadascun d’ells. Consulta la Guia de aditivos, conservantes y colorantes en alimentación d’Ediciones Obelisco.
7. Data de caducitat.
8.
Quantitat
d’aliment que conté.
9. L’etiqueta indica quina és la manera més adequada de conservar l’aliment? Quina és?
10. Hi ha publicitat en l’etiqueta respecte aquest producte? Es correspon amb la informació que dóna l’etiqueta?
11. Amb qui i de quina manera contactaries si necessitessis més informació de l’aliment o volguessis fer-ne una reclamació?
12. Fes una valoració d’aquest aliment des del punt de vista nutricional.



1.
Uns
nois juguen a pilota i...
a. Com s'adonen aquests nois que un cotxe se/Is tira al damunt?
b. Quines parts dels seu cos els donen la informació que els fa adonar del perill?
c. Què és el que fan quan són conscients del perill?
d. Quina reacció tenen que els permet salvar la vida?
e. Quines parts del seu cos intervenen en aquesta reacció?
f. Et sembla que la informació que reben i la reacció que tenen estan relacionades?
g. Quina part del nostre organisme intervé en la coordinació de la informació que rebem i les respostes que donem?
2.
Una
parella de joves balla...
a. Quin és el tipus d'informació que arriba de l'ambient en aquest cas?
b. Quina és la part del nostre organisme que la capta?
c. Quina és la reacció d'aquests nois?
d. Es tracta d'una reacció en la qual intervé la seva voluntat o no?
3.
En
una visita mèdica...
a. EI moviment que fa aquesta noia és voluntari?
b. Quina part del nostre organisme regula els moviments en què no intervé la nostra voluntat?
4.
Xerrem
i xerrem...
a. Saps com ens comuniquem?
b. Quina part del nostre organisme capta les paraules i els sons?
c. On es produeix la interpretació de les paraules que sentim?
d. Quina part del nostre organisme emet les paraules i els sons?
5.
Aquest
noi s’ha donat un cop de cap...
a. Què significa perdre el coneixement?
b. Per què el perdem quan ens donem un cop al cap?
6.
Fent
footing...
a. Quan correm o fem qualsevol esport movem molts músculs del cos?
b. Saps com els coordinem per tal que el moviment sigui harmònic?
7.
AI
llarg de la vida aprenem moltes coses...
a. Com és que quan som grans encara sabem fer coses que hem après de molt petits?
Mmm...
que bo!
Tenim
tres iogurts de gustos diferents (llimona, maduixa i plàtan). Quan els mengem
estem segurs del gust de cadascun d’ells... però n’estàs segur del gust que
tenen realment? Ara ho provarem.
Amb els ulls i el nas tapat, un teu
company t’anirà donant una cullerada de cadascun dels tres iogurts i tu hauràs
d’endevinar de quin gust es tracta. Aquest procediment el repetirem amb la
resta dels alumnes del grup i posteriorment farem una anàlisi dels resultats
obtinguts per tota la classe.
· Tres iogurts de gustos diferents.
· Culleretes de plàstic.
· Drap per tapar els ulls.
Resultats1. Anota els resultats d’aquesta experiència:
|
Alumne |
Llimona (S/N) |
Maduixa (S/N) |
Plàtan (S/N) |
|
|
|
|
|
|
|
|
|
|
|
|
|
|
|
|
|
|
|
|
|
|
|
|
|
|
|
|
|
|
|
Encerts Errades |
|
|
|
|
|
|
|
2. Ara recollim les dades de tots els alumnes de la classe i fem una mica d’estadística.
|
Llimona |
Maduixa |
Plàtan |
|||
|
Sí |
No |
Sí |
No |
Sí |
No |
|
|
|
|
|
|
|
|
% |
% |
% |
% |
% |
% |
3. Explica perquè creus que costa distingir el gust d’aquests iogurts?
4. El nas influeix en la distinció dels gustos dels aliments?
5. Perquè quan estàs constipat el menjar és insípid?
6. I la vista, com influeix en el gust dels aliments?
7. Comenta la frase: “En Joan menja pels ulls”.
8. En alguns països, l’ús dels colorants en els aliments està prohibit. Creus que té alguna conseqüència menjar un iogurt de maduixa de color blanc igual que un iogurt de llimona o taronja?
9. Et costaria adaptar-te a menjar iogurts de gustos sense colorant?
10.
Les
botifarres “vermelles” tenen aquest color perquè els carnissers hi afegeixen
colorant, el seu color natural és marró fosc. A la carnisseria “El porc bo” han
decidit deixar d’utilitzar colorants, què creus que passarà amb les seves
vendes?
11. Quan menges, quins són tots els sentits que creus que intervenen en la degustació?
12. I, finalment, quin és l’òrgan que realment et dóna la sensació de gust?
Què fem?L’encèfal sovint ens dóna sensacions que no s’ajusten a la realitat degut bàsicament a la informació que ens arriba a partir dels òrgans dels sentits i sobretot al seu processament en el mateix encèfal.
Avui veurem algunes de les il·lusions òptiques, és a dir sensacions visuals degudes al processament de la informació (impulsos nerviosos o elèctrics) que envien els ulls a l’encèfal.
Activitats
Navega
fins la web El cos humà: la trobaràs
dintre l’apartat de Ciències de la
naturalesa de www.edu365.cat.
Dins de l’apartat del Sistema nerviós cal que observis els subapartats:
Ä Visió estereoscòpica.
Ä Il·lusions òptiques.
Ara contesta...
1. Què és la visió estereoscòpica?
2. Dibuixa’n un exemple.
3. Què són les il·lusions òptiques?
Obre
ara la pàgina www.portalmix.com/efectos
i entra als apartats
Ä Geometrias.
Ä Psicodelia.
Ä Fondo y forma.
Ä Dos en uno.
Després, si et queda temps, pots entrar als altres apartats.
En acabar has de...
4. Dibuixar dues il·lusions òptiques.
5.
Explicar
com les has fet.
6. Quin efecte produeix?
7.
Què
és el que veiem?
La
llengua i els gustos
En
aquesta experiència comprovarem si és cert que la llengua presenta zones amb
sensibilitats diferents per als gustos dels aliments: amarg, àcid, salat i
dolç.
Per fer-ho provaràs diferents productes que tinguin aquests gustos clarament diferenciat: cacau pur, llimona o vinagre, sal i sucre.
Posa una boleta de cotó fluix a la punta d’un escuradents, la suques en el primer producte i toca’t la llengua en diferents punts (corresponents a les zones del dibuix). Apunta les zones on has apreciat el gust.
Repeteix l’experiència amb les altres tres substàncies però abans has de glopejar una mica d’aigua i, lògicament, canviar el cotó de l’escuradents.
Material· Bastonets de cotó.
· Cacao en pols.
· Suc de llimona, succedani o vinagre.
· Sal.
·
Sucre.
1. Recull les dades de l’experiència en la taula següent. Escriu els següents valors a cada casella segons la intensitat del gust que notis:
a. 2 si notes molt el gust.
b. 1 si el notes poc.
c. 0 si no el notes.
|
Gust |
Zona 1 |
Zona 2 |
Zona 3 |
Zona 4 |
|
Dolç |
|
|
|
|
|
Salat |
|
|
|
|
|
Amarg |
|
|
|
|
|
Àcid |
|
|
|
|
2. Ara recull el resultat dels companys de la teva taula (inclosos els teus) en la taula següent:
|
Gust |
|
Zona 1 |
Zona 2 |
Zona 3 |
Zona 4 |
|
Dolç |
Total |
|
|
|
|
|
Mitjana |
|
|
|
|
|
|
Salat |
Total |
|
|
|
|
|
Mitjana |
|
|
|
|
|
|
Amarg |
Total |
|
|
|
|
|
Mitjana |
|
|
|
|
|
|
Àcid |
Total |
|
|
|
|
|
Mitjana |
|
|
|
|
3. Quines són les zones que detecten clarament un gust determinat (mitjana alta i diferent de les altres zones)?
4. Quins gustos no tenen una zona de la llengua clarament definida (mitjanes similars en totes les zones)?
5. En un llibre de text hi podem la localització dels gustos per zones: 1-dolç, 2-salat, 3-àcid i 4-amarg. Compara i comenta els resultats que heu obtingut en la vostra experiència amb aquesta informació.
6. Fes un breu comentari sobre les teves sensacions en realitzar l’experiència.
7. Són certes les següents? Comenta-les.
a. Quan es té la boca seca, el menjar amb prou feines té gust de res.
b. Si s’està refredat no es nota el gust de la sal.
c. Si tinc el nas tapat no noto el gust del menjar.
d. Un gurmet es preocupa perquè a causa d’un accident ha perdut l’olfacte. No cal que es preocupi ja que el sentit del gust no està afectat i podrà continuar gaudint de la bona cuina.

e. Quan algú et diu olora aquesta flor, te l’acostes al nas i fas una inspiració profunda. Si no és així, no se sent gaire la fragància de la flor.
8. Escriu les conclusions finals de tot el que has après en la realització d’aquesta experiència.
Què fem?
Avui
treballarem el sistema nerviós del cos humà a través de la pàgina El cos humà
que ja saps trobar dintre de l’Edu365.cat (ESO // Ciències de la naturalesa //
El cos humà, icona a dalt i al mig de la pàgina).
Recorda que has de conèixer el teu nom d’usuari i contrasenya per entrar-hi, si no ho recordes has de demanar el professor permís per entrar-hi.
ActivitatsA l’esquerra de la pàgina, clica a l’apartat El sistema nerviós i a la dreta podràs observar-ne una imatge general.
1.

Escriu els noms dels nervis de cada zona i la zona que innerven.
Abans de continuar cal que recordis alguns dels conceptes bàsics d’aquest tema.
2. Quin altre nom rep una cèl·lula nerviosa?
3. Quina és la funció d’una cèl·lula nerviosa?
4. Com s’anomenen les cèl·lules nervioses de l’encèfal i la medul·la espinal?
5. Què és un nervi?
Dintre de l’apartat general Sistema nerviós pots entrar a Nervis del cap... llegeix i observa per poder descriure la funció de...
6. El cervell.
7. El bulb raquidi.
Obre l’apartat Sistema nerviós // Estructura nerviosa i contesta...
8. Per què diem que el sistema nerviós és el centre de control del cos?
9. Quins dos sistemes formen el sistema nerviós?
10. Quins òrgans del cos componen el sistema nerviós?
11. Què és el sistema nerviós perifèric?
12. Omple la següent taula, consultant el teu llibre i aquesta pàgina web.
|
|
Nombre de nervis |
Funció |
|
Sistema nerviós central |
|
|
|
Sistema nerviós perifèric |
|
Obre ara l’apartat Sistema nerviós // Com funciona el sistema nerviós i respon...
13. Quines funcions acompleix el sistema nerviós?
14.

En el següent dibuix, esquema de l’arc reflex, escriu el nom de cada element
que intervé i assenyala el sentit de circulació dels impulsos nerviosos.
15. Fes ara un esquema de l’arc voluntari, escriu el nom de tots els elements que intervenen i el sentit amb que viatja l’impuls nerviós.
Finalment, obre l’apartat Sistema nerviós // Anatomia de la medul·la espinal.
16.

Escriu els noms corresponents.
17. A quines parts del cos trobem substància gris?
18. A la medul·la, quina és la funció de la substància gris?
19. També dins la medul·la, quina forma té en secció la substància gris?
20. Què és el líquid encefaloraquidi?
21. On el podem trobar en el nostre cos?
22. Quina és la seva funció?
23. Escriu alguna característica de la substància blanca.
24. Per què creus que la medul·la espinal passa per l’interior de la columna vertebral?
Mecanoreceptors
a la pellJa saps que no totes les zones de la pell tenen la mateixa sensibilitat. Lògicament, tenim més receptors relacionats amb el tacte a les zones de la pell amb les quals habitualment examinem els objectes fent servir aquest sentit.
... i Què
fem?Construeix el dispositiu del dibuix i fes amb els teus companys i companyes la prova que s'indica a continuació.
Ä La persona que se sotmet a la prova ha de tenir els ulls tapats, o bé no ha de mirar l'instrument.
Ä Toca amb les dues puntes, separades a una distància d'un mil·límetre, la punta del dit del teu company o companya. Pregunta-li si sent dues puntes o només una. Si només en distingeix una, separa-les un altre mil·límetre i repeteix la prova fins que en distingeixi dues i apunta aleshores aquesta separació.
Ä Fes la mateixa prova sobre la part de dalt del canell, el lateral del coll i el front.
Ä Per a cadascuna de les zones del cos que has tocat, indica la separació de les puntes amb què la persona ha reconegut que hi havia dues puntes i no tan sols una.
Perquè la prova sigui vàlida científicament, cal fer un bon nombre de proves. Per tant, has d'obtenir les dades de diversos companys i companyes.
Activitats1. Organitza tota la informació en el quadre de sota i interpreta-la.
|
Alumne |
Dit (índex) |
Canell (dalt) |
Coll (lateral) |
Front |
|
|
|
|
|
|
|
|
|
|
|
|
|
|
|
|
|
|
|
|
|
|
|
|
|
|
|
|
|
|
|
|
|
|
|
|
|
Mitjana |
|
|
|
|
2. De les zones on has fet proves, quina és la més sensible?
3. Quina és la menys sensible?
4. Per què creus que tenim més sensibilitat a algunes parts del cos?
5. Compara els teus resultats amb la mitjana que has obtingut. Comenta-ho.
6. Quina conclusió pots treure d'aquesta experiència?


Què
és el sexe?
Hauràs
de llegir la revista digital Eureka que pots trobar a la pàgina www.portaleureka.com dintre l’apartat
de Biologia.
Després respons el qüestionari següent.
1. Què és un clon i posa algun exemple?
2. Què és una mutació?
3. Quines cèl·lules del nostre cos no tenen la informació genètica duplicada? Per quin motiu?
4. Quin recorregut fa un espermatozoide fins arribar a l’òvul i a quina velocitat van?
5. Explica la comparació entre els cromosomes i els llibres
6. Què ha de passar per que dos germans siguin pràcticament iguals?
7. Per què presenten petites diferències?
8. Com ho han pogut demostrar els investigadors?
9. Què és un ésser hermafrodita? Quin animal hi ha que ho sigui?
10. Quines diferències hi ha entre la reproducció asexual i la sexual
11. Posa algun exemple d’ésser viu en que hi hagi canvi de sexe i per quin motiu es produeix.
12. Els humans tenim dos cromosomes anomenats sexuals, com s’anomenen els de les dones? I els dels homes?
13. Quina funció tenen?

Pots anar a l’activitat Jclic directament a
Ä http://clic.xtec.net/db/act_ca.jsp?id=1082
o buscar-la a través de la pàgina
Ä www.xtec.cat // Escola oberta // Zona clic // Català // Biblioteca d’activitat
i cercar per Títol:
humà... has d’escollir l’activitat Aparells del cos humà.
Dels sis apartats has de realitzar les activitats d’Aparell
reproductor.
Recorda que en finalitzar el paquet d’activitats has de cridar al professor per tal que vegi els percentatges d’encerts que has realitzat.
Bona feina!
Què fem?
Avui
treballarem l’aparell reproductor del cos humà a través de la pàgina El cos
humà que ja saps trobar dintre de l’Edu365.cat (ESO // Ciències de la
naturalesa // El cos humà, icona a dalt i al mig de la pàgina).
Recorda que has de conèixer el teu nom d’usuari i contrasenya per entrar-hi, si no ho recordes has de demanar el professor permís per entrar-hi.
ActivitatsA l’esquerra de la pàgina, clica a l’apartat Aparell reproductor (dona) i a la dreta podràs observar-ne una imatge general. Obre ara l’apartat Aparell reproductor (dona) // Nena o nen i respon...
1. Quins cromosomes determinen el sexe d’una persona?
2. Quins cromosomes sexuals presenten els òvuls?
I els espermatozoides?
3. Explica què és la fecundació i quan aquest òvul fecundat donarà lloc a una nena o a un nen
Ves obrint els diferents apartats que hi ha i llegeix la informació que porta adjunta
Obre ara l’apartat Aparell reproductor (dona) // Desenvolupament del fetus i respon...
4. Funció de la placenta
5. Parts del cordó umbilical i funció de cadascuna d’elles
6. Funció del líquid àmnic
7. Característiques de l’embrió humà a les 6 setmanes
8. Característiques del fetus a les 12 setmanes
9. Característiques del fetus a les 22 setmanes
10. Característiques del fetus als 9 mesos
Finalment obre l’apartat Aparell reproductor (dona) // Part ...
11. Anomena les tres fases del part i descriu-les...
Què fem?
Una
de les webs més completes i serioses sobre la sexualitat, els anticonceptius,
les malalties transmissibles sexualment i la SIDA és del Departament de Salut
de la Generalitat de Catalunya. La pots trobar a la pàgina
www.gencat.cat dintre l’apartat Ciutadans // Salut jove // Guia de salut per a joves.
A l’índex hi pots veure molts capítols interessants relacionats amb la teva salut. Avui treballarem els capítols 7 (Sexualitat i anticoncepció) i 8 (Malalties de transmissió sexual i la SIDA).
Activitats
Llegeix
amb atenció el text del capítol 7
(Sexualitat i anticoncepció) i podràs contestar les preguntes següents:
1. Quina és la diferència entre acte sexual i sexualitat?
2. Quines hormones regules el cicle menstrual de les noies?
3. Quan una noia té la menstruació significa...
4. Les sigles MTS signifiquen...
5. Quins són els tres punts bàsics per gaudir d’una sexualitat saludable i evitar un embaràs o una MTS?
6. Quin és l’únic mètode anticonceptiu que ofereix una doble protecció?
7. Quines són les dues proteccions?
8. El diafragma és millor utilitzar-lo conjuntament amb... Per què?
9. Quins són els anticonceptius que cal consultar a un professional abans de la seva utilització?
10. Explica breument com actual la píndola.
11. Si una noia s’oblida un dia de prendre una píndola, què ha de fer?
12. Quins són els mètodes anticonceptius de baixa eficàcia?
13. La píndola de l’endemà...
a. És un mètode anticonceptiu? Per què?
b. En què consisteix?
c. Podem prendre-la tranquil·lament pel nostre compte?
14. Llegeix l’apartat 6... alguna d’aquestes afirmacions les havies sentit dir a algun dels teus amics o amigues? Quines?
Pots
continuar llegint ara el capítol 8
(Malalties de transmissió sexual i la SIDA) per contestar...
15. Quin tipus de malalties MTS es poden curar amb relativa facilitat i quines no?
16. Posa’n dos exemples, més o menys coneguts, de cadascuna.
17. Què és la SIDA?
18. Què signifiquen les sigles SIDA i VIH?
19. Quins són els tres casos de transmissió de la SIDA?
20. Una mare embarassada infectada de la SIDA sempre la transmet als seus fills? Comenta-ho.
21. Quin risc tenen actualment les transfusions de sang en el contagi de la SIDA?
22. Escriu dos casos en que no es contagia la SIDA contràriament a la informació popular o del carrer.
23. Quina diferència hi ha entre ser seropositiu i tenir la SIDA?
Llegeix ara els errors més freqüents... segurament hi reconeixeràs alguna “llegenda popular”.
24. Quina és la única manera de saber si una persona està infectada de la SIDA?
25. Quin és el mètode més eficaç per evitar el contagi de la SIDA per via sexual?

Si
encara tens temps... i si no, pots mirar-t’ho una altra estona.
A la mateixa pàgina de la Generalitat
dintre de Ciutadans // Salut jove // Sexe joves pots trobar-hi informació molt més detallada sobre els mètodes anticonceptius, l’embaràs, les MTS...
És una pàgina interessant que et pot ajudar, ara o més endavant, a aclarir els dubtes que et puguin sorgir. Recorda, però, que el millor consell és que davant de qualsevol problema acudeixis als pares i/o a un professional de la sanitat... sempre rebràs l’ajuda i el suport que necessites.
Qüestions
sobre l´evolució1. Què propugnaven les teories creacionistes i fixistes?
2. Quines diferències hi ha entre òrgans homòlegs anàlegs? Dóna exemples de cadascun d'ells.
3. Quines proves tenim per demostrar la veracitat de l'evolució de les espècies? Explica-les.
4. Lamarck va proposar la primera teoria sobre l'evolució de les espècies. Però hi ha un punt que avui en dia podem assegurar que és fals. Quin és aquest punt? Com podem saber la seva falsedat?
5. Quins són els punts claus en les teories evolucionistes de Darwin i Wallace? Explica-ho.
6.

Com explicarien Lamark i Darwin el perquè els talps són cecs.
7. Quins mecanismes poden fer aparèixer un aïllament reproductiu en una població?
8.

La figura A mostra l'estructura esquelètica d'una serp, en la qual es poden
observar unes extremitats posteriors rudimentàries. La figura B mostra
l'extremitat posterior d'un gat. Des d'un punt de vista evolutiu, com són entre
ells els òrgans, assenyalats al dibuix, de la serp i del gat? Raoneu per què
l'existència d'aquests òrgans en diferents espècies constitueix una prova de
l'evolució.
9.
Dos
esquelets de balenes primitives de fa uns 47 milions d'anys poden servir per
aclarir com aquests animals van colonitzar el medi marí. Els fòssils indiquen
que les balenes van evolucionar a partir d'avantpassats primitius, dels quals
també es van originar els hipopòtams. Diverses proves bioquímiques (moleculars,
genètiques i d'altres) ja havien indicat aquest fet però faltava trobar les
proves paleontològiques. (Adaptació d'EI País, 3 d'octubre del 2001)
a. Quins arguments faria servir Lamarck per explicar la desaparició de les extremitats de les balenes primitives?
b. Quins arguments faríem servir actualment (teoria de Darwin)?
10. Com explicaria Lamarck el fet que alguns ocells, com ara els estruços, tinguin les ales molt curtes, mentre que d’altres, com per exemple el còndor, les tinguin molt llargues?
11.

Observa el dibuix, tens quatre poblacions de ratolins representades en moments
successius temporalment.
a. Escriu com explicaria Darwin el que ha passat. Explica-ho detalladament i emmarca la seva situació dintre d’un context ambiental.
b. Imagina un canvi d’ambient radical que provoqués la situació contrària.
12. Què són les mutacions?
13. Anomena una mutació indiferent, una beneficiosa i una perjudicial.
14. Què defensaven les teories fixistes o creacionistes? Com explicaven els partidaris d'aquestes teories l'existència dels fòssils?
15. Posa un exemple d'òrgans anàlegs, què vol dir que són el resultat d'una convergència evolutiva?
16. Posa un exemple d'òrgans homòlegs? Què vol dir que són el resultat d'una divergència evolutiva?
17. En què consisteixen les proves bioquímiques sobre l'evolució?
18. Quins eren els punts bàsics de la teoria de Jean Baptista Lamarck? Hi estàs d'acord?
19. Quins són els punts bàsics de la teoria sobre l'evolució de Charles Darwin? Fes-ne un esquema o dibuix.
20. Posa un exemple de selecció natural.
21. Posa un exemple d'òrgans anàlegs, els éssers vius que tenen aquests òrgans tenen un alt grau de parentiu?
22. Posa un exemple d'òrgans homòlegs? Què ens indiquen aquests òrgans?
23. Les extremitats dels vertebrats tenen la mateixa organització.
a. Pinta
els ossos de les extremitats d’acord amb els colors: vermell (húmer), taronja
(cúbit) , groc(radi), verd (ossets de la mà) i blau (falanges dels dits).

24. Els humans fan servir les cames per caminar i saltar, i les llagostes també, però la seva estructura és molt diferent. Els músculs de les persones s'uneixen als ossos de l'esquelet mentre que les llagostes tenen els músculs dins de l'esquelet extern.
a.
Dibuixa
la cama humana i la pota de la llagosta i acoloreix de taronja els músculs i
de verd l'esquelet.
b. Es pot establir un parentiu entre la llagosta i els humans a causa de la funció de les seves potes?
c. Les cames dels homes i les potes de la llagosta són òrgans homòlegs o anàlegs?
d. Es pot establir que tenen avantpassats propers comuns?
25.
Compara
les estructures anatòmiques de la gavina i de l’Archaeopteryx.
a. En què s'assemblen l'ocell fòssil i l'ocell actual?
b. Quines transformacions han tingut lloc en els ocells des de l'Archaeopteryx fins als ocells actuals?
c. Quines característiques han desaparegut?
d. Quins òrgans han canviat?
e. Creus que l'Archaeopteryx estava ben adaptat al vol?
f. Creus que corria amb més facilitat que un ocell actual? Per què?
g. Quina en devia ser l'alimentació, segons que es dedueix del dentat?
h. Quines adaptacions per a l'alimentació carnívora pots observar al bec del falcó?
i. Explica quines modificacions de les que han tingut lloc en l'evolució dels ocells comporten avantatges per a la seva adaptació al medi i per a la seva forma de vida.
26. Què defensaven els fixistes o creacionistes?
a. Les espècies són invariables.
b. La funció crea l'òrgan.
c. La selecció natural.
27. Quins eren els punts bàsics de la teoria de Lamarck?
a. La natura selecciona els individus més aptes.
b. La funció crea l'òrgan.
c. L'herència dels caràcters adquirits.
d. La teoria del catastrofisme.
28. Qui va enunciar la teoria de l'evolució segons la selecció natural?
a. Jean Baptiste Lamarck.
b. Charles Darwin.
c. Cuvier.
d. Linné.
29. Posa un exemple de selecció natural.
30. L'ala d'un ocell i l'ala d'una mosca serien un exemple de:
a. Òrgans homòlegs.
b. Òrgans anàlegs.
c. Caràcters adquirits.
d. Selecció natural.
31. Els òrgans homòlegs són un exemple de:
a. Evolució convergent.
b. Evolució divergent.
c. Herència adquirida.
32. La flora i la fauna d’Austràlia constitueixen:
a. Una prova biogeogràfica de l'evolució.
b. Una prova paleontològica de l'evolució.
c. Una prova bioquímica de l'evolució.
Parlem
d'evolució
Què fem?Avui treballarem el tema de l’evolució amb la pàgina de la Cristina Villalba
http://www.xtec.net/~cvillalb/evolucio/indexf.htm
que també pots trobar a la XTEC // Aula oberta // Ciències de la Naturalesa // Parlem d’evolució.
Dintre
d’aquesta pàgina trobaràs molt de material... comença treballant l’apartat Parlem d’evolució 1 i després realitza
el Joc de la selecció natural.
Si encara et sobra temps podràs veure
altres apartats de la pàgina: Parlem
d’evolució 2, Qui som?...
En acabar la sessió pots comprovar el que has après responent les següent qüestions. El professor et recollirà el full per comprovar-ho.
Nom: . . . . . . . .
. . . . . . . . . . . . . . . . . . . . . .
Grup: 3r . . . d’ESO
1. Abans de Lamarck es creia en....
a. El lamarquisme
b. El darwinisme
c. El creacionisme
d. L’evolució de les espècies
2. Quina d’aquestes idees NO és de Lamarck?
a. Els organismes evolucionen per un impuls de perfecció
b. Els caràcters adquirits durant la vida són heretables
c. Les espècies, un cop creades, no evolucionen
d. La funció crea l’òrgan
3. Segons Lamarck, com es van poder transformar els avantpassats de les girafes en un animal amb el coll tan llarg?
a. Sempre han tingut el coll llarg
b. Estirant el coll generació rera generació
c. Els individus de coll més llarg eren seleccionats favorablement
d. Una mutació ho va provocar
4. Com va interpretar Darwin la varietat de becs dels pinsans?
a. Com una adaptació a l’aliment disponible
b. Com a espècies diferents i no relacionades entre si
c. Com a diferències entre joves i adults
d. Com a diferències entre mascles i femelles
5. Evolucionar significa millorar, progressar...?
a. Sí, sempre l’espècie que apareix és millor a l’anterior
b. No. Si fos així, per exemple, serien impossible les extincions
c. Sí, els humans estem en el cim evolutiu
6. Per què en néixer les filles de mares que han portat les anelles, NO tenen el coll més llarg que les filles de mares que no les han portat?
a. Són nadons. Quan creixin sí que tindran el coll més llarg
b. L’allargament del coll durant la vida no és un caràcter heretable
c. Perquè encara no li han posat les anelles
Ara ves a l’apartat de Joc d’evolució i realitza l’activitat. Recorda que l’activitat de caçar cargols l’has de realitzar ràpidament.
7. Has d’apuntar els resultats que has obtingut en la taula d’aquí sota.
|
Cargols caçats |
Paisatge 1 |
Paisatge 2 |
Paisatge 3 |
|
Foscos |
|
|
|
|
Clars |
|
|
|
8. Fes un comentari sobre els resultats que has obtingut en la cacera dels cargols. En el text que redactis hi han de sortir les paraules: paisatge, depredador, selecció natural, mutació i evolució.

Els
escarabats i l´evolucióÄ Cartolina verda i vermella.
Ä Plastilina verda i vermella.
Ä Cronòmetre.
Què fem?Es tracta d'agafar una cartolina verda (representa un prat) per grup de 2 alumnes (com més gran millor) i posar-hi 25 escarabats (boletes de plastilina) exactament del mateix color verd de la cartolina i com més petits millor, escampats a l'atzar.
Activitat 1. Després un alumne fa de depredador durant 10 segons i apunta quants escarabats agafa. Torneu a posar els escarabats i ara ho fa l’altre alumne del grup. Apunteu els resultats
|
Alumne |
Escarabats verds |
|
|
|
|
|
|
|
|
|
|
Mitjana |
|
Activitat 2. En la descendència, apareix una mutació: de cada 25 escarabats, 5 són de color vermell.
Els depredadors intenten caçar, amb 10 segons, el màxim d’escarabats. Apunta quants de verds i quants de vermells.
|
Alumne |
Verds |
Vermells |
|
|
|
|
|
|
|
|
|
|
|
|
|
Mitjana |
|
|
Activitat 3. En la següent generació, herència intermèdia, apareixen 5 fills mig verds i mig vermells (sense barrejar els colors, com boles de billar). Tornen a actuar els depredadors sobre 15 de verds, 5 de vermells i 5 de barrejats. Apunta-ho.
|
Alumne |
Verds |
Vermells |
Verd-vermell |
|
|
|
|
|
|
|
|
|
|
|
|
|
|
|
|
Total Mitjana |
|
|
|
|
|
|
|
Activitat 4. Ara hi ha un canvi climàtic i el prat es torna vermell (argila) exactament del mateix color dels escarabats mutants. Torna a actuar la depredació i apunta el resultat.
|
Alumne |
Verds |
Vermells |
Verd-vermell |
|
|
|
|
|
|
|
|
|
|
|
|
|
|
|
|
Total Mitjana |
|
|
|
|
|
|
|
Resultats globals. Ara podem fer una mica d’estadística, sumarem els resultats globals de les dues últimes experiències (activitat 3. terreny verd i activitat 4. terreny argilós). Apunta-ho a la taula següent
|
Terreny |
Verds |
Vermells |
Verd-vermell |
|
Escarabats totals |
15 x ... = ... |
5 x ... = ... |
5 x ... = ... |
|
Activitat 3. Verd (prat) |
|
|
|
|
|
|
|
|
1. Entre la primera i la segona activitat notes alguna diferència? A què creus que és degut?
2. Ara fixa’t en els resultats del teu grup obtinguts en el prat i en l’argila (activitats 3 i 4). Notes alguna diferència? A què creus que és deguda?
3. Comenta els resultats globals de tot el grup classe.
a. Diferència entre els resultats globals del prat i de l’argila.
b. Diferència entre els resultats globals i els del vostre grup (en les activitats 3 i 4).
4. Si el terreny argilós es mantingués, com evolucionaria el color de la població d’escarabats? Justifica-ho segons Darwin.
5. Com ho justificaria en Lamarck el canvi de color dels escarabats de verd a vermell en el terreny argilós?
Recordes l’activitat que vam fer a l’aula d’informàtica amb el Joc de l’evolució de la Cristina Villalba?
A continuació tens els resultats globals (dels Països Catalans) de la depredació de cargols clars i foscos pel pitroig en cadascun dels paisatges de l’activitat.
|
|
Paisatge 2 |
Paisatge 3 |
||||
|
Caceres |
Clar |
Fosc |
Clar |
Fosc |
Clar |
Fosc |
|
738 |
1345 |
2749 |
2811 |
1376 |
2406 |
2356 |
6.

Explica perquè es produeixen aquestes diferències.
7. Si d’aquí molts anys tornéssim a observar la població de cargols a cada paisatge, indica com hauria evolucionat. Justifica-ho.
L’objectiu d’aquestes properes sessions és la realització en grup (de 2 o 3 alumnes) d’un treball monogràfic sobre geologia i la posterior exposició oral a la resta de la classe amb el suport d’una presentació en Power Point.
1.
Processos fluviotorrencials.
2. Processos marins.
3. Processos eòlics i biòtics.
4. Processos glacials.
5. Vulcanisme.
6. Terratrèmols i maremotos.
Una vegada triat el tema caldrà que cada grup busqui informació: llibres, fotocòpies, pàgines web, fotografies... i que l’utilitzi per realitzar el treball durant les hores B i a casa.
La feina que caldrà fer en cadascuna de les sessions és:
1. Elaborar un esquema del treball que realitzarem: apartats, subapartats, imatges... Al final de la sessió caldrà lliurar-lo al professor. Després podeu començar a repartir-vos tasques i/o iniciar el treball.
2. Dedicació exclusiva a la realització del treball.
3. Acabar el treball i explicació sobre la realització de la presentació en Power Point (què s’ha de fer i què no s’ha de fer).
4. Realització del Power Point. Prèviament s’ha d’haver lliurat al professor un esquema clar del que volem realitzar.
5. Exposicions orals.
A més del material habitual de treball (paper, bolígrafs, tisores, cola...) caldrà que cada grup porti un “llapis” informàtic (pen drive) per poder desar amb seguretat els continguts informàtics que aneu elaborant.
Cal tenir sempre el material bibliogràfic i el nostre llibre de text per extreure la informació.
Un treball complet té els següents apartats:
· Coberta o portada. Hi ha de constar:
Ä El títol
Ä El nom i cognom del o dels autors
Ä El curs
Ä El nom de l’IES
Ä La data de lliurament del treball
· Índex Et serveix de guia perquè hi apareix l’estructura del treball. Has d’indicar els títols dels apartats i les pàgines on es troben.
· Introducció. És una explicació dels aspectes concrets que tractaràs al teu treball i dels passos seguits per aconseguir-ho (fes-la breu, amb l’objectiu del treball). Has de redactar-la abans de començar el treball i revisar-la al final.
· Cos central
Ä És el desenvolupament de tota la informació que has obtingut a través de la bibliografia i d’altres fonts consultades (internet, revistes, els teus professors...).
Ä Aquesta part l’has d’organitzar per capítols o apartats (depèn del tipus de treball, ha de tenir tots els que creieu necessaris per tal que l’estructura sigui prou clara).
Ä És convenient que utilitzis canvis de lletra (negretes, cursives, subratllat,...) per tal de destacar determinats mots o idees sobre les quals vulguis atreure especialment l’atenció.
Ä El text que escriguis mai ha de ser una còpia literal de les vostres fonts d’informació. Després de llegir-les atentament haureu de redactar-ho vosaltres mateixos, utilitzant les vostres paraules i frases (recordeu: curtes i entenedores).
· Conclusions Són una reflexió sobre el tema o una síntesi que destaca les dades més interessants del treball. També hi pots explicar si has aconseguit els objectius que t’havies proposat i les dificultats amb les que t’has trobat (redacció també breu amb les idees fonamentals del tema tractat).
· Bibliografia. Has d’indicar per ordre alfabètic d’autors totes les obres consultades (llibres, enciclopèdies, webs...).
Ä
Per
un llibre:
COGNOM, Nom. Títol. núm. d’edició (si no és la primera), ciutat, editorial, any
Ä Per una enciclopèdia:
COGNOM, Nom (del primer autor) i altres Títol de l’enciclopèdia, núm. de volum, núm d’edició, ciutat, editorial, any
Ä Per un article de revista:
COGNOM, Nom. “Títol”, dins Nom de la revista, núm., any, pàgines de la ... a la ...
Ä
Per
un document consultat a través d’INTERNET:
NOM DE L’ORGANITZACIÓ, INSTITUCIÓ O PERSONA. Títol (en línia) <pàgina web a la que s’ha anat a fer la consulta> (data que s’ha fet la consulta)
· Aquest treball ha de tenir una extensió màxima de 8 fulls.
· Has de deixar marges en tots els fulls: laterals, superior i inferior
· Tots els fulls han de ser de la mateixa mida. Utilitza DIN A4
· Has de numerar totes les planes
· Tipus de lletra i mida:
Ä La portada pot tenir una lletra especial
Ä Els subtítols i diferents apartats han de tenir el mateix tipus i mida de lletra
Ä Tot el contingut ha d’estar escrit amb el mateix tipus i mida de lletra . Pots fer servir negreta, cursiva o subratllat en els aspectes que vulguis destacar
· Has de començar tots els paràgrafs a la mateixa distància del marge
· Has de deixar la mateixa separació entre paràgraf i paràgraf
· A totes les fotografies, els mapes o les il·lustracions, has de posar-hi un peu de fotografia explicant què és, què s’observa...
· Tingues cura de la presentació:
Ä Utilitza els signes de puntuació: punts i seguits, punts i a part.
Ä Utilitza les majúscules (inici del text, després de punt, nom propis).
Ä Copia correctament els mots, els parèntesis, les quantitats completes...
· Utilitza el corrector ortogràfic informàtic.
· Escull una adequada enquadernació.
El
Power Point ha de ser una síntesi (no hi ha de ser tot, només el més destacat)
del vostre treball i per tant ha de tenir com a màxim 12 diapositives.
L’estructura de la presentació ha de respectar l’ordre del vostre treball.
En cada diapositiva hi ha d’haver un títol, poques frases i molt curtes (quasi telegràfiques) i alguna imatge.
Les animacions de la presentació (entrades en espiral, caigudes...) han de ser mínimes i no han de distreure a les persones que us escolten.
En l’exposició oral, no heu de llegir les diapositives, només us han de servir de suport per la vostra explicació (que ha de ser més detallada del que hi figura).
El que està fent l’exposició no ha de manipular l’ordinador, aquesta tasca la realitzarà un altre membre del grup.
Eviteu situar-vos just davant la projecció per no impedir la visió als vostres companys.
Formes de relleu




Retalla el mapamundi annex just pel límit de les costes del món.
Enganxa’l aqui sota intentant encaixar els diferents continents com si fossin un puzzle (sense deixar espais).
1. Els marsupials només es troben a Austràlia i a Amèrica del Sud. S’han trobat fòssils d’espècies idèntiques a Sud-Amèrica i Àfrica. Hi ha jaciments molt semblants a Brasil i a països de l’Àfrica Central. Com explicaries aquests fets?
2. Com explicaries que a l’Himalaia a 8.000 m sobre el nivell del mar hi ha roques amb fòssils d’animals marins?
3. Aquí tens un problema. Els científics han detectat l’edat de roques de l’escorça. Han trobat que la roca continental més antiga té 3.800 milions d’anys i que la roca oceànica més antiga només té 200 milions d’anys. Creus que s’han equivocat? O bé pots donar alguna explicació lògica a aquest fet?
Situa els volcans, terratrèmols i serralades del següent llistat al mapamundi. Simbolitza els volcans amb un triangle vermell, els terratrèmols amb un rectangle de color blau i les serralades amb una ziga-zaga de color marró.
· Volcans actius durant els darrers temps:
Ä HecIa (Islàndia)
Ä Fuji-Yama (Japó)
Ä Katmai (Alaska)
Ä
Taal (Filipines)
Ä Santa Helena (Washington)
Ä
Fuego (Guatemala)
Ä Cerro Negro (Nicaragua)
Ä Aconcagua (Argentina)
Ä
Illes Açores
Ä Vesuvi (Itàlia)
Ä
Etna (Itàlia)
Ä
Teneguia (Gran Canària)
· Cadenes muntanyoses d'origen recent:
Ä
AtIes
Ä
Himàlaia
Ä
Rocalloses
Ä
Andes
·
Terratrèmols esdevinguts durant els darrers
anys:
Ä AIaska
Ä Kurils
Ä Perú
Ä Xile
Ä
Açores
Ä
Alger (Algèria)
Ä
Líban
Ä
Formosa
Ä Tango (Japó)
Ä Bucarest (Rumania)
Ä
Agadir (Marroc)
Ä Managua (Nicaragua)
Ä
Tabas (Est Iranià)
Ä
Van (Turquia)
Ä El Asnam (Algèria)
Ä
Mèxic
Ä Sant Francisco (EUA)
Ä
Avellino (Itàlia)
![]() |
Observa la seva distribució.
Intenta unir els volcans i terratrèmols més propers amb línies.
1. Què en dedueixes del que has obtingut?
2. Aquesta distribució et sembla a l'atzar?
3. Et sembla que hi ha zones amb més risc sísmic o volcànic que altres?
4. Dóna un exemple d'una ciutat amb risc sísmic i d'una que no en tingui i situa-les en el mapa.
5. Coincideixen les zones amb risc sísmic i amb risc volcànic?
1. Sobreposa el següent mapa del món en paper vegetal al mapa de l'activitat anterior. Hi ha alguna relació entre les línies del mapa (paper vegetal) i la distribució de volcans, terratrèmols i serralades del mapa que havies fet?
2. Que penses que són aquestes línies?
3. Són aquestes línies les causants de l’activitat volcànica i sísmica? Com?
4. Explica les causes de l'aparició d'un volcà o un terratrèmol a una determinada zona.
5. Relaciona-ho amb l’activitat que has fet inicialment (puzzle de continents).
1. Fes un resum del vídeo.
2. Defineix:
a. Terratrèmol
b. Volcà
c. Serralada

Observa el següent mapa.
Com pots veure hi ha plaques que se separen, altres que s'ajunten i altres que freguen entre elles. Observa el moviment de les plaques.
1.
Quines diferències veus entre la placa Pacífica
i...
a. la placa Nazca.
b. la placa Nord-Americana.
c. la placa Iraniana.
2. Quines plaques litosfèriques són exclusivament oceàniques?
3. Quines plaques són exclusivament continentals?
4. Quines són les plaques mixtes?
5. Quin moviment relatiu hi ha entre les plaques?
a. Pacífica i Nazca?
b. Nazca i Sud-Americana?
6. Et sembla que el radi de la Terra és constant, donats aquests desplaçaments?
7. Tenint en compte l'origen del moviment de les plaques, quin et sembla que deu ser l'origen de la illa d'Islàndia?
Observa
els esquemes que et presentem i contesta les següents preguntes:
1.

Com s'explica que el gruix dels sediments sigui considerablement menor al
sondatge núm 3 que al sondatge núm 1?
2. Quines roques són més antigues, les del sondatge núm 1 o 3?
3. En pots deduir els resultats que han obtingut en els sondatges núm 4 i 5?
4. Quina diferència hi trobes entre una cadena de muntanyes i una dorsal oceànica?
5. Per què hi ha jaciments de minerals molt semblants al Brasil i als Països del Àfrica Central?
6. Per què la serralada dels Andes és paral·lela a la costa del Pacífic?
Ordena en el temps geològic les següent imatges
1. Permià, 225 milions d’anys
2. Triàssic, 200 milions d’anys
3. Juràssic, 150 milions d’anys
4. Cretàcis 65 milions d’anys
5. Actualitat
![]() |




Un planeta dinàmicAvui pots treballar una unitat didàctica amb una pàgina web
de Joan Llop Arola i Lola López Manzano per consolidar alguns aspectes de la
dinàmica, externa i interna, del nostre planeta. Pots anar-hi a través de la XTEC // Escola oberta // Internet a
l’aula // Ciències de la naturalesa
// La
dinàmica superficial del planeta o bé directament a l’adreça
www.xtec.net/aulanet/ud/ciencies/planeta/index.htm
Recorda que has de començar per les Activitats d’aprenentatge. Has de llegir i observar atentament la informació, el text, els dibuixos, les animacions... de cada nivell (Continguts X) per després poder contestar amb èxit les qüestions que se’t plantegen (Comprova el que saps).
Si et queda temps al final pots acabar amb algun joc educatiu (Juga i repassa).
L’ordre és el següent:
· Continguts 1
· Continguts 2
Ä Comprova el que saps
· Continguts 3
· Continguts 4
Ä Comprova el que saps
· Continguts 5
· Continguts 6
Ä Comprova el que saps
· Juga i repassa
QüestionsFinalment contesta les preguntes següents:
1.
Els processos geològics ..............
destrueixen el relleu.
2.
Els processos geològics ................. es
produeixen per la calor interna del planeta.
3.
Les roques ...................... es formen pels
processos geològics externs.
4. Ordena les paraules (sedimentació, transport, diagènesi, meteorització, erosió) en l’ordre correcte segons els processos geològics externs.
....................
....................
....................
....................
....................
5.
La diagènesi és el procés que transforma els ....................
en roques ................... dures i coherents.
6.

Indica el nom del transport (saltació, flotació, rodolament, suspensió,
reptació) que correspon a cada número del dibuix.
7.
Alfred L. Wegener va ser el científic que va
postular la teoria de la ...................... .................., precursora de la teoria
de la ....................... de .......................
8. L’astenosfera és una part de la capa interna de la terra anomenada .............. i es caracteritza perquè està formada de material .....................
9. Els materials de l'astenosfera es mouen realitzant un moviment de (inducció / convecció / translació) .........................
10. Una
..................... ...........................
s’origina quan dues plaques litosfèriques / tectòniques se separen.